Contacto
Cuéntenos sobre sus necesidades

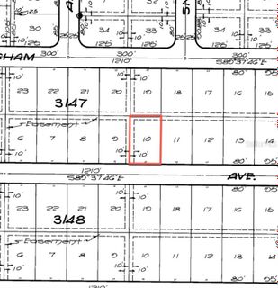
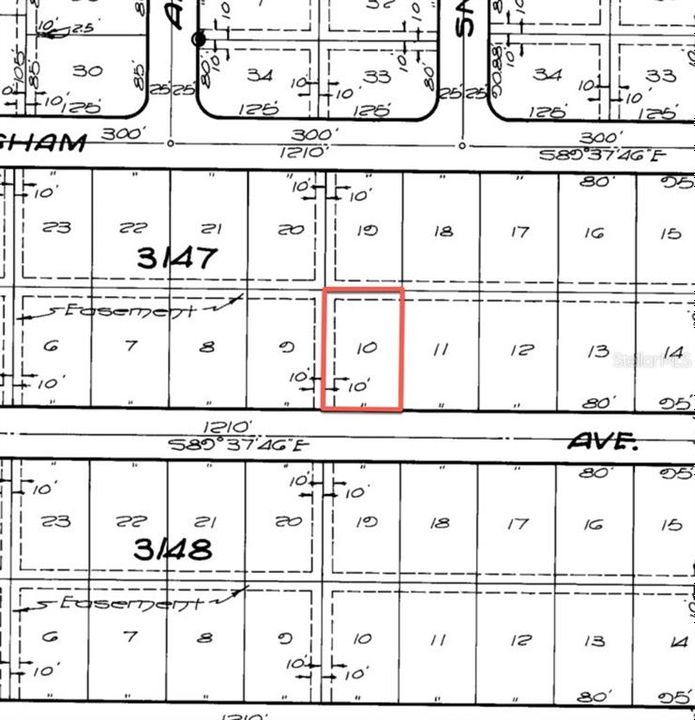
22082 DEBORAH AVENUE

Lotes / Tierras Activo con contrato
$19,900

BTC: 0.66333333

ETH: 9.95000000

97 días
0 room(s)
Est. Rango de ventas estimado: $0 - $0
$0

Visión general

Under contract-accepting backup offers. Hot Hot Hot! Discover the possibilities with this prime 0.23-acre (10,000 sq ft) homesite in the heart of Port Charlotte! High and dry on a paved road with electricity services out front on the street. Located in a serene residential neighborhood, this lot presents a fantastic opportunity to build your dream home or add a high-potential asset to your investment portfolio. Enjoy tranquil surroundings while staying close to all the essentials. Port Charlotte is celebrated for its friendly community, abundant green spaces, and exceptional access to some of the Gulf Coast's finest beaches, golf courses, parks, and waterways. Live just minutes from Port Charlotte Town Center's shopping and dining, scenic Centennial Park, and the vibrant Murdock Village development. Commuting is a breeze with easy access to US 41 and I-75, connecting you swiftly to Punta Gorda, North Port, and the sun-drenched Florida coastline. Sports fans will love the proximity to Charlotte Sports Park, the spring training home of the Tampa Bay Rays. Don't miss out. Call today!

Ubicación

Hechos y características

Tipo:
Land
Estacionamiento:
Sin datos
Año de construcción:
Sin datos
Lote:
0.23 Hectáreas
Calefacción:
Sin datos
precio por sq. medidor:
Sin datos
Enfriamiento:
Sin datos
HOA:
Sin datos
Más hechos y características
  • Lote

    • Lote: 0.23 Hectáreas

    Otra Información de Propiedad

    • Número de Parcela: 402202156024

    • Zonificación: RSF3.5

  • Tipo y estilo

    • Tipo de propiedad: Land

  • Utilidad

    • Electrical Nearby

    • Electricity Available

    • Phone Available

    • Telephone Nearby

  • Otra información financiera

    • Importe anual de impuestos: $443

  • Detalles de la fuente

    • MLS ID: O6335281

    Otros hechos

    • Características del lote: Buildable / Interior Lot / Level / Room For Pool / Suburb / Wooded

    • Fuente de agua: Well Required

    • Tamaño de la parcela: 80 x 125

    • Nombre de subdivisión: PORT CHARLOTTE SEC 050

Casas similares

2148 SHILO STREET placeholder 2148 SHILO STREET
4 días
Activo con contrato
Lotes / Tierras
$21,500
0 room(s)
2148 SHILO STREET
1358 FARGO STREET placeholder 1358 FARGO STREET
5 días
Activo con contrato
Lotes / Tierras
$20,000
0 room(s)
1358 FARGO STREET
23168 MCMULLEN AVENUE placeholder 23168 MCMULLEN AVENUE
6 días
Activo con contrato
Lotes / Tierras
$22,200
0 room(s)
23168 MCMULLEN AVENUE
DELIGHT AVENUE placeholder DELIGHT AVENUE
9 días
Activo con contrato
Lotes / Tierras
$17,900
0 room(s)
DELIGHT AVENUE
HILL ROAD placeholder HILL ROAD
12 días
Activo con contrato
Lotes / Tierras
$19,500
0 room(s)
HILL ROAD
23436 STEEPLE AVENUE placeholder 23436 STEEPLE AVENUE
14 días
Activo con contrato
Lotes / Tierras
$18,000
0 room(s)
23436 STEEPLE AVENUE
2408 LARGO STREET placeholder 2408 LARGO STREET
14 días
Activo con contrato
Lotes / Tierras
$17,000
0 room(s)
2408 LARGO STREET
2200 CLERMONT STREET placeholder 2200 CLERMONT STREET
18 días
Activo con contrato
Lotes / Tierras
$21,500
0 room(s)
2200 CLERMONT STREET

The multiple listing information is provided by the Stellar MLS from a copyrighted compilation of listings. The compilation of listings and each individual listing are ©2025-present Stellar MLS. All Rights Reserved. The information provided is for consumers' personal, noncommercial use and may not be used for any purpose other than to identify prospective properties consumers may be interested in purchasing. All properties are subject to prior sale or withdrawal. All information provided is deemed reliable but is not guaranteed accurate, and should be independently verified. Listing courtesy of: FLORIDA RE ANALYSTS, INC