Contacto
Cuéntenos sobre sus necesidades

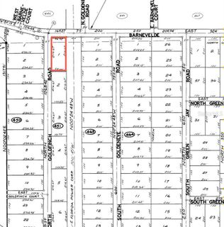
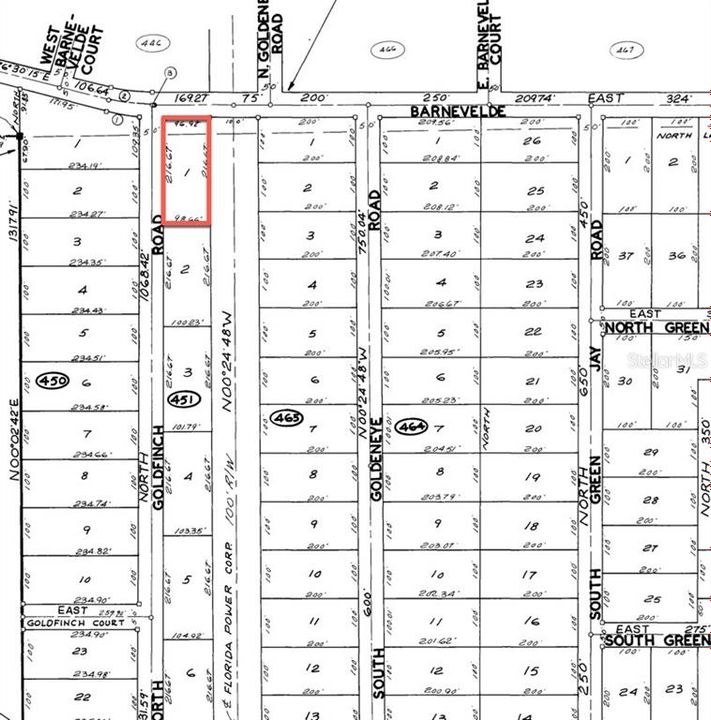
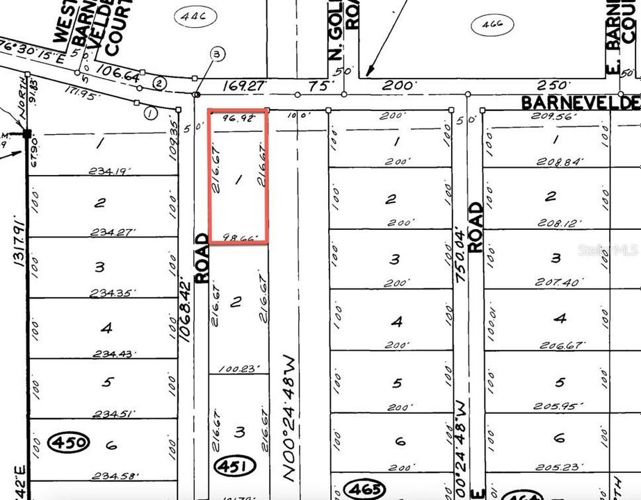
12470 BARNEVELDE ROAD

Lotes / Tierras En Venta
$25,900

BTC: 0.29994210

ETH: 8.85167464

Nuevo
0 room(s)
Est. Rango de ventas estimado: $0 - $0
$0

Visión general

Way below market! Get what you really want for the holidays! Amazing .49 Acre wooded lot with electricity services available along the street frontage. Build your dream home today or invest in your future! Located in the Royal Highlands subdivision in Hernando County. This is Florida's Adventure Coast, abundant with rivers and springs, state forests and preserves, and the waters of the Gulf coast. Land and water adventures await you arrival. Go hiking, biking, riding, boating and more. Shopping, dining, and entertainment are all nearby. Easy access to US 19, CR 476, US 98 and the Suncoast Parkway make Ocala, Orlando, and the Tampa Bay area all an easy commute. Buy this 0.49 acre lot today for a quick cash price of $25,900. That's far below nearby comparable sales and Way below nearby properties on the market! 12470 Barnevelde Rd: From the corner of CR 476 and Lelani Drive: Head north on Lelani Drive for 1.6 miles. Turn right (East) on Quigley Ave for .2 mile. Turn left (North) on Gonzo Road. The property is .2 miles down on your right (Southeast corner of Gonzo Rd and Barnevelde Rd). See attached aerial and photos for location help.

Ubicación

Hechos y características

Tipo:
Land
Estacionamiento:
Sin datos
Año de construcción:
Sin datos
Lote:
0.49 Hectáreas
Calefacción:
Sin datos
precio por sq. medidor:
Sin datos
Enfriamiento:
Sin datos
HOA:
Sin datos
Más hechos y características
  • Lote

    • Lote: 0.49 Hectáreas

    Otra Información de Propiedad

    • Número de Parcela: R0122117335704510010

    • Zonificación: R1C

  • Tipo y estilo

    • Tipo de propiedad: Land

  • Utilidad

    • Electrical Nearby

    • Electricity Available

    • Phone Available

    • Telephone Nearby

  • Otra información financiera

    • Importe anual de impuestos: $409

  • Detalles de la fuente

    • MLS ID: O6369616

    Otros hechos

    • Características del lote: Corner Lot / In County / Room For Pool / Rural / Unincorporated / Wooded

    • Fuente de agua: Well Required

    • Tamaño de la parcela: 97 x 217

    • Nombre de subdivisión: ROYAL HIGHLANDS

Casas similares

FORCE ROAD placeholder FORCE ROAD
11 días
En Venta
Lotes / Tierras
$30,500
0 room(s)
FORCE ROAD
16392 CURLEW ROAD placeholder 16392 CURLEW ROAD
37 días
En Venta
Lotes / Tierras
$24,500
0 room(s)
16392 CURLEW ROAD
00 WOOD OWL AVENUE placeholder 00 WOOD OWL AVENUE
40 días
En Venta
Lotes / Tierras
$29,900
0 room(s)
00 WOOD OWL AVENUE
CURLEW ROAD placeholder CURLEW ROAD
72 días
En Venta
Lotes / Tierras
$24,900
0 room(s)
CURLEW ROAD
SHELDRAKE LOOP placeholder SHELDRAKE LOOP
88 días
En Venta
Lotes / Tierras
$30,000
0 room(s)
SHELDRAKE LOOP
14388 CHIMNEY SWIFT ROAD placeholder 14388 CHIMNEY SWIFT ROAD
144 días
En Venta
Lotes / Tierras
$25,000
0 room(s)
14388 CHIMNEY SWIFT ROAD
0 PURPLE GALINULE AVENUE placeholder 0 PURPLE GALINULE AVENUE
288 días
En Venta
Lotes / Tierras
$27,500
0 room(s)
0 PURPLE GALINULE AVENUE

The multiple listing information is provided by the Stellar MLS from a copyrighted compilation of listings. The compilation of listings and each individual listing are ©2025-present Stellar MLS. All Rights Reserved. The information provided is for consumers' personal, noncommercial use and may not be used for any purpose other than to identify prospective properties consumers may be interested in purchasing. All properties are subject to prior sale or withdrawal. All information provided is deemed reliable but is not guaranteed accurate, and should be independently verified. Listing courtesy of: FLORIDA RE ANALYSTS, INC