Contacto
Cuéntenos sobre sus necesidades

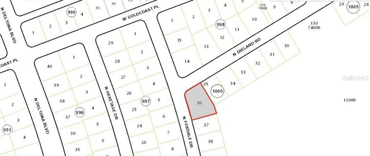
7145 N IRELAND DRIVE

Lotes / Tierras En Venta
$45,000

BTC: 1.50000000

ETH: 22.50000000

286 días
0 room(s)
Est. Rango de ventas estimado: $0 - $0
$0

Visión general

Discover the perfect opportunity to build your dream home on this huge .37-acre corner lot in the growing community of Citrus Springs, FL! Situated on 7145 N Ireland Dr, this buildable lot offers ample space for your vision, whether you’re looking to create a personal retreat or an investment property. Enjoy a growing community with parks, trails & golf courses nearby, close to shopping, dining. Citrus Springs is a sought-after area known for its natural beauty, outdoor recreation, and small-town charm while being just a short drive from Crystal River, Dunnellon, and Ocala. Don't miss out on this incredible opportunity—secure your piece of Florida today!

Ubicación

Hechos y características

Tipo:
Land
Estacionamiento:
Sin datos
Año de construcción:
Sin datos
Lote:
0.37 Hectáreas
Calefacción:
Sin datos
precio por sq. medidor:
Sin datos
Enfriamiento:
Sin datos
HOA:
Sin datos
Más hechos y características
  • Lote

    • Lote: 0.37 Hectáreas

    Otra Información de Propiedad

    • Número de Parcela: 18E17S100130100500360

    • Zonificación: PDR

  • Tipo y estilo

    • Tipo de propiedad: Land

  • Utilidad

    • Electricity Available

  • Otra información financiera

    • Importe anual de impuestos: $209

  • Detalles de la fuente

    • MLS ID: OM695630

    Otros hechos

    • Fuente de agua: None

    • Tamaño de la parcela: 110 x 113

    • Nombre de subdivisión: CITRUS SPGS UNIT 13

Casas similares

1695 W CITRUS SPRINGS BOULEVARD placeholder 1695 W CITRUS SPRINGS BOULEVARD
5 días
En Venta
Lotes / Tierras
$35,000
0 room(s)
1695 W CITRUS SPRINGS BOULEVARD
0 Anton, Citrus Springs, FL 34434 placeholder 0 Anton, Citrus Springs, FL 34434
7 días
En Venta
Comercial
$55,900
0 room(s)
0 Anton, Citrus Springs, FL 34434
9156 N MENDOZA WAY placeholder 9156 N MENDOZA WAY
10 días
En Venta
Lotes / Tierras
$49,800
0 room(s)
9156 N MENDOZA WAY
LOT 15 & 16 SW 105TH PL placeholder LOT 15 & 16 SW 105TH PL
27 días
En Venta
Lotes / Tierras
$58,000
0 room(s)
LOT 15 & 16 SW 105TH PL
1255 E BLUEBIRD COURT placeholder 1255 E BLUEBIRD COURT
28 días
En Venta
Lotes / Tierras
$34,000
0 room(s)
1255 E BLUEBIRD COURT
6975 N Lynn Point, Citrus Springs FL 34434 placeholder 6975 N Lynn Point, Citrus Springs FL 34434
29 días
En Venta
Lotes / Tierras
$32,000
0 room(s)
6975 N Lynn Point, Citrus Springs FL 34434
1541 W RILEY DRIVE placeholder 1541 W RILEY DRIVE
+$10K (2025/11/07)
En Venta
Lotes / Tierras
$35,000
0 room(s)
1541 W RILEY DRIVE
182 Kingsdale, Citrus Springs, FL 34434 placeholder 182 Kingsdale, Citrus Springs, FL 34434
31 días
En Venta
Comercial
$37,900
0 room(s)
182 Kingsdale, Citrus Springs, FL 34434

The multiple listing information is provided by the Stellar MLS from a copyrighted compilation of listings. The compilation of listings and each individual listing are ©2025-present Stellar MLS. All Rights Reserved. The information provided is for consumers' personal, noncommercial use and may not be used for any purpose other than to identify prospective properties consumers may be interested in purchasing. All properties are subject to prior sale or withdrawal. All information provided is deemed reliable but is not guaranteed accurate, and should be independently verified. Listing courtesy of: EXP REALTY LLC