Contacto
Cuéntenos sobre sus necesidades

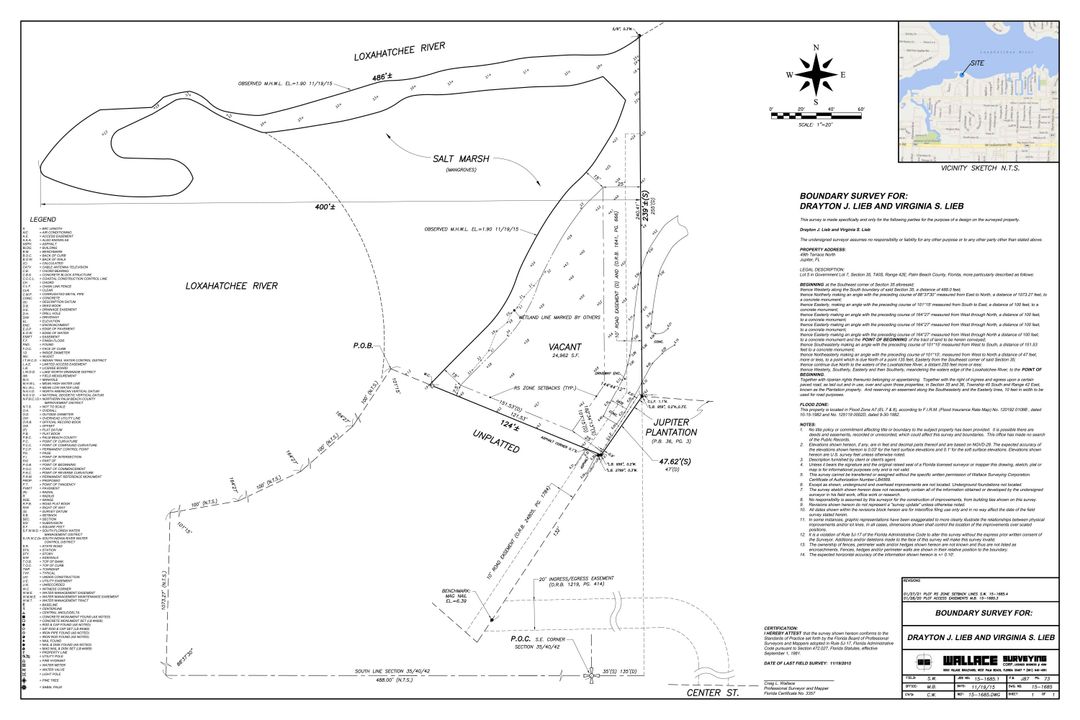
18200 49th, Jupiter, FL 33458

Comercial En Venta
$5,990,000

BTC: 199.66666667

ETH: 2,995.00000000

-$2M (2025/10/30)
178 días
Frente al mar
0 room(s)
Est. Rango de ventas estimado: $0 - $0
$0

Visión general

SELLER MOTIVATED. This is the only known property in Jupiter offering over 1,000 ft of private waterfront along the scenic Loxahatchee Rivercomplete with its own private island. A rare opportunity to own one of the most unique land parcels in the area, featuring 69,696 sq ft (1.6 acres) of land with 10,000+ sq ft already cleared. Approximately 5,000-6,000 square feet estimated to be currently buildable (subject to approval, & expandable with variances & mitigation). A DEP permit has been approved for a ~100 ft dock, & a certified expert has confirmed that mangroves on-site may be significantly trimmed to open views & improve usability. With direct access to the water, this property offers unmatched potential for a luxury estate or retreat. Located just minutes from 1000 North..SEE MORE

Ubicación

Hechos y características

Tipo:
Commercial Land
Estacionamiento:
Sin datos
Año de construcción:
Sin datos
Lote:
69696 Pies Cuadrados
Calefacción:
Sin datos
precio por sq. medidor:
Sin datos
Enfriamiento:
Sin datos
HOA:
Sin datos
Más hechos y características
  • Lote

    • Lote: 69696 Pies Cuadrados

    Otra Información de Propiedad

    • Número de Parcela: 00424035000070100

    • Zonificación: RS

  • Tipo y estilo

    • Tipo de propiedad: Commercial Land

    • Subtipo de propiedad: Single Family Residence

  • Otra información financiera

    • Importe anual de impuestos: $17,411

  • Detalles de la fuente

    • MLS ID: RX-11098974

    Otros hechos

    • Caras de dirección: From I-95, take Indiantown Road east, turn left on Center Street, then right on Roebuck Road to 49th Terrace North. The property is at the end by the Loxahatchee River.

    • Frente al mar: Si

    • Garaje: Si

    • Tamaño de la parcela: 488 ft (width) x 1073.27 ft (depth)

    • Nombre de subdivisión: Unplatted

Casas similares

18040 Via Rio, Jupiter, FL 33458 placeholder 18040 Via Rio, Jupiter, FL 33458
6 días
En Venta
Comercial
$5,000,000
0 room(s)
18040 Via Rio, Jupiter, FL 33458
8164 Old Plantation, Jupiter, FL 33458 placeholder 8164 Old Plantation, Jupiter, FL 33458
12 días
En Venta
Casa
$4,195,000
5 camas 5 baños 4,578 sqft
8164 Old Plantation, Jupiter, FL 33458
12049 Intracoastal, Jupiter, FL 33469 placeholder 12049 Intracoastal, Jupiter, FL 33469
24 días
En Venta
Casa
$5,990,000
5 camas 6 baños 7,733 sqft
12049 Intracoastal, Jupiter, FL 33469
18499 Palm Island, Jupiter, FL 33458 placeholder 18499 Palm Island, Jupiter, FL 33458
36 días
En Venta
Casa
$6,750,000
4 camas 4 baños 5,685 sqft
18499 Palm Island, Jupiter, FL 33458
115 Echo, Jupiter, FL 33458 placeholder 115 Echo, Jupiter, FL 33458
39 días
En Venta
Casa
$4,950,000
4 camas 5 baños 4,978 sqft
115 Echo, Jupiter, FL 33458
266 Locha, Jupiter, FL 33458 placeholder 266 Locha, Jupiter, FL 33458
41 días
En Venta
Casa
$5,900,000
3 camas 3 baños 4,161 sqft
266 Locha, Jupiter, FL 33458
18163 Ridgeview, Jupiter, FL 33469 placeholder 18163 Ridgeview, Jupiter, FL 33469
-$300K (2025/10/30)
En Venta
Casa
$4,950,000
3 camas 2 baños 3,954 sqft
18163 Ridgeview, Jupiter, FL 33469
18706 St Augustine, Jupiter, FL 33469 placeholder 18706 St Augustine, Jupiter, FL 33469
49 días
En Venta
Casa
$6,000,000
4 camas 4 baños 4,666 sqft
18706 St Augustine, Jupiter, FL 33469

The multiple listing information is provided by the Beaches MLS from a copyrighted compilation of listings. The compilation of listings and each individual listing are ©2025-present Beaches MLS. All Rights Reserved. The information provided is for consumers' personal, noncommercial use and may not be used for any purpose other than to identify prospective properties consumers may be interested in purchasing. All properties are subject to prior sale or withdrawal. All information provided is deemed reliable but is not guaranteed accurate, and should be independently verified. Listing courtesy of: Provident Realty of South Florida Inc.