Contact
Tell us about your needs

SW 75TH STREET

Lots/Land For Sale
$1,188,000

BTC: 17.47058824

ETH: 11,880.00000000

67 days
0 room(s)
Est. Estimated sales range: $0 - $0
$0

Overview

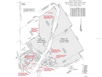
This offering consists of approximately 1 acre, identified as Parcel F in the attached exhibit. Additional contiguous acreage is available and may be purchased separately from the seller. This is an outstanding mixed-use commercial development opportunity located at the high-traffic SW corner of Archer Road and Tower Road. The site is ideal for townhomes, condominiums, and apartment rentals. The property can be subdivided for tonwhomes. The site has the following infrastructure already built: major roads, stormwater basins, sewer lift station, water, electric, gas, and fiber-optic internet already in place—significantly reducing development costs and timelines. Traffic counts include approximately 30,000 AADT on Archer Road and 17,500 AADT on Tower Road, providing excellent exposure and access. Located just 2.5 miles from the I-75 interchange, the property benefits from strong regional connectivity. The surrounding area is anchored by dense and expanding residential development, including the Brytan PD and Grand Preserve PD, encompassing approximately 200 acres, with 300,000 SF of commercial space and 940 homes planned. The trade area includes 135,383 residents and 52,948 households within a 15-minute drive, supporting long-term tenant demand and investor returns. Listing agent is related to the seller.

Location

Facts and features

Type:
Land
Parking:
No Data
Year Built:
No Data
Lot:
1.00 Acres
Heating:
No Data
Price/sqft:
No Data
Cooling:
No Data
HOA:
No Data
All facts and features
  • Lot

    • Lot: 1.00 Acres

    Other Property Information

    • Parcel Number: 07027000000F

    • Zoning: PD

  • Type and style

    • Property Type: Land

  • Utility

    • BB/HS Internet Available

    • Cable Available

    • Electricity Available

    • Fiber Optics

    • Fire Hydrant

    • Natural Gas Available

    • Phone Available

    • Sewer Available

    • Sprinkler Meter

    • Street Lights

    • Underground Utilities

    • Water Available

  • Other financial information

    • Annual tax amount: $1

  • Source details

    • MLS ID: GC537041

    Other facts

    • Lot Features: In County / Near Public Transit / Retention Areas / Sidewalk / Street Lights

    • Direction Faces: North

    • Water Source: Public

    • Lot Size Dimensions: 1

Similar Homes

3680 SW 86TH STREET placeholder 3680 SW 86TH STREET
4 days
For Sale
House
$879,000
5 bds 4 ba 3,479 sqft
3680 SW 86TH STREET
3678 SW 105TH STREET placeholder 3678 SW 105TH STREET
10 days
For Sale
House
$999,900
4 bds 4 ba 3,319 sqft
3678 SW 105TH STREET
3853 SW 107TH TERRACE placeholder 3853 SW 107TH TERRACE
-$8K (2026/04/03)
For Sale
House
$1,122,153
4 bds 4 ba 3,477 sqft
3853 SW 107TH TERRACE
10226 SW 49TH LANE placeholder 10226 SW 49TH LANE
20 days
For Sale
House
$899,000
4 bds 3 ba 2,670 sqft
10226 SW 49TH LANE
8717 SW ARCHER ROAD placeholder 8717 SW ARCHER ROAD
45 days
For Sale
Lots/Land
$1,300,000
0 room(s)
8717 SW ARCHER ROAD
3774 SW 103RD STREET placeholder 3774 SW 103RD STREET
-$10K (2026/03/19)
For Sale
House
$1,080,000
4 bds 3 ba 3,687 sqft
3774 SW 103RD STREET
9278 SW 61ST AVENUE placeholder 9278 SW 61ST AVENUE
-$100K (2026/02/24)
For Sale
House
$1,275,000
4 bds 3 ba 2,910 sqft
9278 SW 61ST AVENUE
10505 SW 41ST PLACE placeholder 10505 SW 41ST PLACE
55 days
For Sale
House
$979,000
4 bds 2 ba 4,801 sqft
10505 SW 41ST PLACE

The multiple listing information is provided by the Stellar MLS from a copyrighted compilation of listings. The compilation of listings and each individual listing are ©2026-present Stellar MLS. All Rights Reserved. The information provided is for consumers' personal, noncommercial use and may not be used for any purpose other than to identify prospective properties consumers may be interested in purchasing. All properties are subject to prior sale or withdrawal. All information provided is deemed reliable but is not guaranteed accurate, and should be independently verified. Listing courtesy of: SKOBEL REALTY LLC