Contact
Tell us about your needs

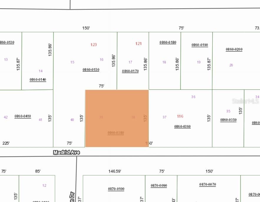
120 MADRID AVENUE

Lots/Land For Sale
$20,000

BTC: 0.31595577

ETH: 10.52631579

71 days
0 room(s)
Est. Estimated sales range: $0 - $0
$0

Overview

Prime Location in Interlachen Lakes Estates! This high and dry double lot is ideally positioned in the heart of Interlachen. Nestled in a peaceful community, this property offers the perfect blend of privacy and convenience just minutes away - and an easy drive - to town. Located just off Keuka Road (20A), you'll enjoy quick access to shopping, dining, and everyday essentials. Lightly wooded for natural privacy, this nearly half- acre parcel provides plenty of space for your vision, whether that's a charming cabin, modern modular home, or a spacious site-built residence. Manufactured homes are a possibility too. Room to design your ideal retreat in one of Florida's most scenic areas.

Location

Facts and features

Type:
Land
Parking:
No Data
Year Built:
No Data
Lot:
0.46 Acres
Heating:
No Data
Price/sqft:
No Data
Cooling:
No Data
HOA:
No Data
All facts and features
  • Lot

    • Lot: 0.46 Acres

    Other Property Information

    • Parcel Number: 201024407408600380

    • Zoning: R2, A2

  • Type and style

    • Property Type: Land

  • Utility

    • Electrical Nearby

  • Other financial information

    • Annual tax amount: $133

  • Source details

    • MLS ID: OM712407

    Other facts

    • Direction Faces: South

    • Water Source: Well Required

    • Lot Size Dimensions: 150 x 135

    • Subdivision Name: INTERLACHEN LAKES ESTATES UNIT 15

Similar Homes

106 INTERLACHEN BOULEVARD placeholder 106 INTERLACHEN BOULEVARD
68 days
For Sale
Lots/Land
$15,000
0 room(s)
106 INTERLACHEN BOULEVARD
110 INTERLACHEN BOULEVARD placeholder 110 INTERLACHEN BOULEVARD
68 days
For Sale
Lots/Land
$15,000
0 room(s)
110 INTERLACHEN BOULEVARD
104 INTERLACHEN BOULEVARD placeholder 104 INTERLACHEN BOULEVARD
68 days
For Sale
Lots/Land
$15,000
0 room(s)
104 INTERLACHEN BOULEVARD
108 INTERLACHEN BOULEVARD placeholder 108 INTERLACHEN BOULEVARD
68 days
For Sale
Lots/Land
$15,000
0 room(s)
108 INTERLACHEN BOULEVARD
CHESTNUT STREET placeholder CHESTNUT STREET
95 days
For Sale
Lots/Land
$19,970
0 room(s)
CHESTNUT STREET
214 VANCOUVER CIRCLE placeholder 214 VANCOUVER CIRCLE
101 days
For Sale
Lots/Land
$15,000
0 room(s)
214 VANCOUVER CIRCLE
LOT 132 DUNCAN AVENUE placeholder LOT 132 DUNCAN AVENUE
-$2K (2025/10/29)
For Sale
Lots/Land
$15,000
0 room(s)
LOT 132 DUNCAN AVENUE
262 CYPRESS STREET placeholder 262 CYPRESS STREET
-$500 (2025/11/26)
For Sale
Lots/Land
$14,500
0 room(s)
262 CYPRESS STREET

The multiple listing information is provided by the Stellar MLS from a copyrighted compilation of listings. The compilation of listings and each individual listing are ©2026-present Stellar MLS. All Rights Reserved. The information provided is for consumers' personal, noncommercial use and may not be used for any purpose other than to identify prospective properties consumers may be interested in purchasing. All properties are subject to prior sale or withdrawal. All information provided is deemed reliable but is not guaranteed accurate, and should be independently verified. Listing courtesy of: COLDWELL BANKER ELLISON REALTY O