Contact
Tell us about your needs

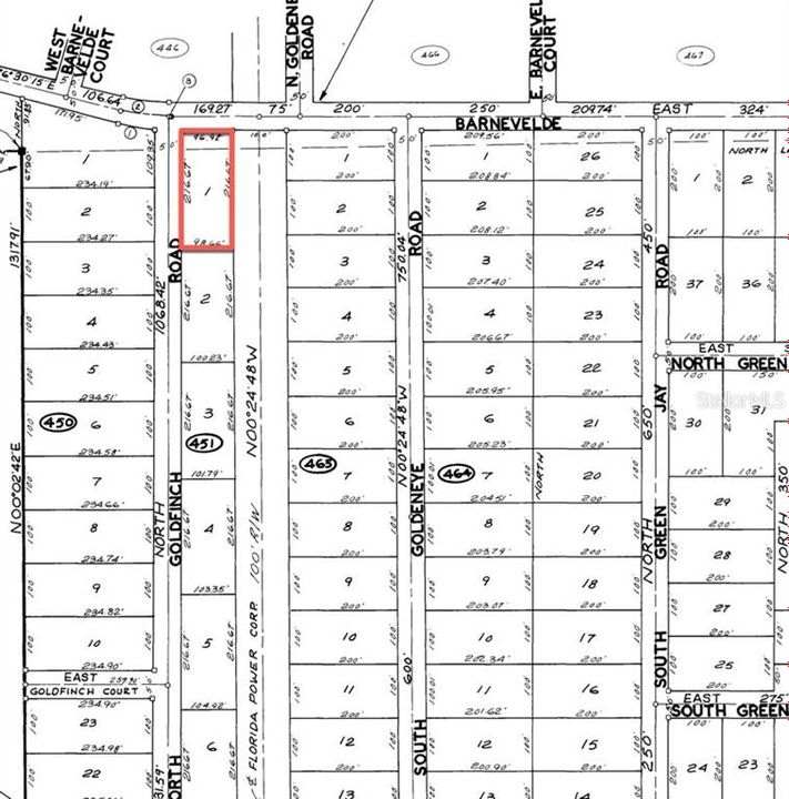
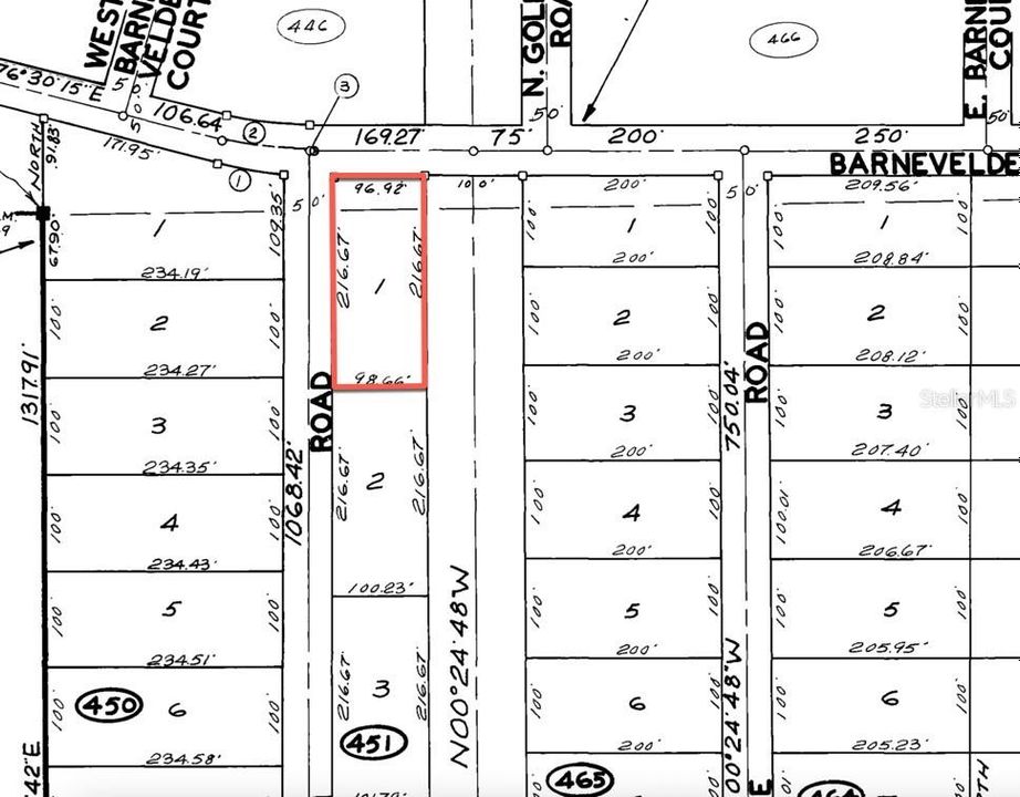
12470 BARNEVELDE ROAD

Lots/Land For Sale
$25,900

BTC: 0.38446141

ETH: 13.28205128

-$7K (2025/12/02)
224 days
0 room(s)
Est. Estimated sales range: $0 - $0
$0

Overview

Way below market! Get what you really want for the holidays! Amazing .49 Acre wooded lot with electricity services available along the street frontage. Build your dream home today or invest in your future! Located in the Royal Highlands subdivision in Hernando County. This is Florida's Adventure Coast, abundant with rivers and springs, state forests and preserves, and the waters of the Gulf coast. Land and water adventures await you arrival. Go hiking, biking, riding, boating and more. Shopping, dining, and entertainment are all nearby. Easy access to US 19, CR 476, US 98 and the Suncoast Parkway make Ocala, Orlando, and the Tampa Bay area all an easy commute. Buy this 0.49 acre lot today for a quick cash price of $25,900. That's far below nearby comparable sales and Way below nearby properties on the market! 12470 Barnevelde Rd: From the corner of CR 476 and Lelani Drive: Head north on Lelani Drive for 1.6 miles. Turn right (East) on Quigley Ave for .2 mile. Turn left (North) on Gonzo Road. The property is .2 miles down on your right (Southeast corner of Gonzo Rd and Barnevelde Rd). See attached aerial and photos for location help.

Location

Facts and features

Type:
Land
Parking:
No Data
Year Built:
No Data
Lot:
0.49 Acres
Heating:
No Data
Price/sqft:
No Data
Cooling:
No Data
HOA:
No Data
All facts and features
  • Lot

    • Lot: 0.49 Acres

    Other Property Information

    • Parcel Number: R0122117335704510010

    • Zoning: R1C

  • Type and style

    • Property Type: Land

  • Utility

    • Electrical Nearby

    • Electricity Available

    • Phone Available

    • Telephone Nearby

  • Other financial information

    • Annual tax amount: $307

  • Source details

    • MLS ID: O6313149

    Other facts

    • Lot Features: Corner Lot / Wooded

    • Water Source: Well Required

    • Lot Size Dimensions: 97 x 217 x 99 x 217

    • Subdivision Name: ROYAL HIGHLANDS

Similar Homes

FORCE ROAD placeholder FORCE ROAD
21 days
For Sale
Lots/Land
$30,500
0 room(s)
FORCE ROAD
16392 CURLEW ROAD placeholder 16392 CURLEW ROAD
48 days
For Sale
Lots/Land
$24,500
0 room(s)
16392 CURLEW ROAD
00 WOOD OWL AVENUE placeholder 00 WOOD OWL AVENUE
51 days
For Sale
Lots/Land
$29,900
0 room(s)
00 WOOD OWL AVENUE
CURLEW ROAD placeholder CURLEW ROAD
83 days
For Sale
Lots/Land
$24,900
0 room(s)
CURLEW ROAD
SHELDRAKE LOOP placeholder SHELDRAKE LOOP
98 days
For Sale
Lots/Land
$30,000
0 room(s)
SHELDRAKE LOOP
14388 CHIMNEY SWIFT ROAD placeholder 14388 CHIMNEY SWIFT ROAD
155 days
For Sale
Lots/Land
$25,000
0 room(s)
14388 CHIMNEY SWIFT ROAD
0 PURPLE GALINULE AVENUE placeholder 0 PURPLE GALINULE AVENUE
299 days
For Sale
Lots/Land
$27,500
0 room(s)
0 PURPLE GALINULE AVENUE

The multiple listing information is provided by the Stellar MLS from a copyrighted compilation of listings. The compilation of listings and each individual listing are ©2026-present Stellar MLS. All Rights Reserved. The information provided is for consumers' personal, noncommercial use and may not be used for any purpose other than to identify prospective properties consumers may be interested in purchasing. All properties are subject to prior sale or withdrawal. All information provided is deemed reliable but is not guaranteed accurate, and should be independently verified. Listing courtesy of: FLORIDA RE ANALYSTS, INC