Contact
Tell us about your needs

2201 NW 21ST STREET

Lots/Land For Sale
$6,000,000

BTC: 88.23529412

ETH: 60,000.00000000

-$2M (2026/03/29)
10 days
0 room(s)
Est. Estimated sales range: $0 - $0
$0

Overview

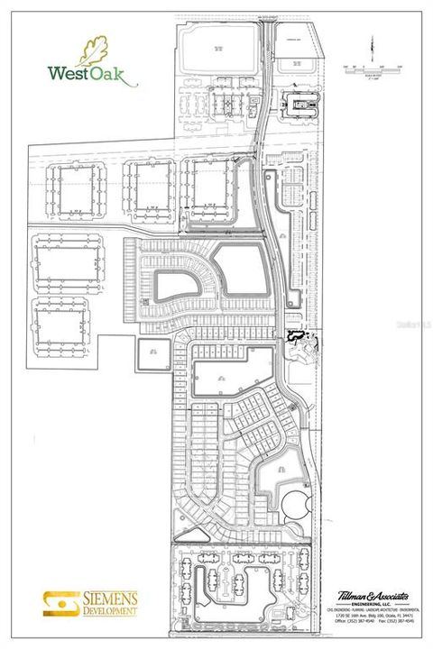
150-unit town home parcel. Shovel ready, site plan and engineering permits in hand. Located in the West Oak Village, Ocala Florida. A 2300-unit masterplan community with 368 occupied apartments, another 100 apartments under construction and 250 in site plan. 100 single family occupied and 210 sites under construction . All utilities to the site; water, sewer, electric, cable. Existing off site drainage DRA provided. Adjacent to the existing 10,000 sf clubhouse, with fitness, pool, and playground and 60-acre park amenities. Site graded and mostly cleared.

Location

Facts and features

Type:
Land
Parking:
No Data
Year Built:
No Data
Lot:
13.81 Acres
Heating:
No Data
Price/sqft:
No Data
Cooling:
No Data
HOA:
No Data
All facts and features
  • Lot

    • Lot: 13.81 Acres

    Other Property Information

    • Parcel Number: 2138500300

    • Zoning: PD

  • Type and style

    • Property Type: Land

  • Utility

    • BB/HS Internet Available

    • Cable Available

    • Electrical Nearby

    • Phone Available

    • Sewer Available

    • Water Available

  • Other financial information

    • Annual tax amount: $20,311

  • Source details

    • MLS ID: OM721652

    Other facts

    • Water Source: None

    • Lot Size Dimensions: 00

Similar Homes

120 NW 40TH AVENUE placeholder 120 NW 40TH AVENUE
68 days
For Sale
Commercial
$6,200,000
0 room(s) 30,828 sqft
120 NW 40TH AVENUE
4030 NW BLITCHTON ROAD placeholder 4030 NW BLITCHTON ROAD
166 days
For Sale
Lots/Land
$4,290,000
0 room(s)
4030 NW BLITCHTON ROAD
 placeholder
181 days
For Sale
Commercial
$4,200,000
0 room(s)
2111 SW COLLEGE ROAD placeholder 2111 SW COLLEGE ROAD
-$205K (2026/01/15)
For Sale
Commercial
$5,295,000
0 room(s) 11,626 sqft
2111 SW COLLEGE ROAD
3755 NW 44TH AVENUE placeholder 3755 NW 44TH AVENUE
552 days
For Sale
Commercial
$7,218,000
0 room(s) 2,124 sqft
3755 NW 44TH AVENUE

The multiple listing information is provided by the Stellar MLS from a copyrighted compilation of listings. The compilation of listings and each individual listing are ©2026-present Stellar MLS. All Rights Reserved. The information provided is for consumers' personal, noncommercial use and may not be used for any purpose other than to identify prospective properties consumers may be interested in purchasing. All properties are subject to prior sale or withdrawal. All information provided is deemed reliable but is not guaranteed accurate, and should be independently verified. Listing courtesy of: LINDA SIEMENS REALTY, LLC