Contact
Tell us about your needs

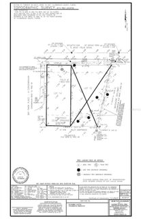
2528 W PALM DRIVE LOT 14

Lots/Land For Sale
$799,000

BTC: 9.19976972

ETH: 399.50000000

31 days
0 room(s)
Est. Estimated sales range: $0 - $0
$0

Overview

Fantastic opportunity steps from Bayshore with Fred Ball park views. Vacant 50x125 parcel is ready for a single family or multi family project. No rezoning needed. Surveys and soil report’s completed. Seller would entertain offers for adjacent parcel as well.

Location

Facts and features

Type:
Land
Parking:
No Data
Year Built:
No Data
Lot:
0.14 Acres
Heating:
No Data
Price/sqft:
No Data
Cooling:
No Data
HOA:
No Data
All facts and features
  • Lot

    • Lot: 0.14 Acres

    Other Property Information

    • Parcel Number: A2729183QB00000000012.0

    • Zoning: RM-24

  • Type and style

    • Property Type: Land

  • Utility

    • Street Lights

    • Utility Pole

    • Water Available

  • Other financial information

    • Annual tax amount: $3,119

  • Source details

    • MLS ID: TB8445235

    Other facts

    • Lot Features: Cleared / Drainage Canal

    • Direction Faces: North

    • Water Source: Public

    • Lot Size Dimensions: 50 x 125

    • Subdivision Name: BOULEVARD PARK REV MAP

Similar Homes

700 S HARBOUR ISLAND BOULEVARD UNIT 218 placeholder 700 S HARBOUR ISLAND BOULEVARD UNIT 218
1 days
For Sale
Condo/Co-op
$825,000
3 bds 2 ba 1,332 sqft
700 S HARBOUR ISLAND BOULEVARD UNIT 218
401 COLUMBIA DRIVE placeholder 401 COLUMBIA DRIVE
1 days
For Sale
Lots/Land
$825,000
0 room(s)
401 COLUMBIA DRIVE
4105 W KNIGHTS AVENUE placeholder 4105 W KNIGHTS AVENUE
2 days
For Sale
House
$579,000
3 bds 2 ba 1,467 sqft
4105 W KNIGHTS AVENUE
4326 S CLARK AVENUE placeholder 4326 S CLARK AVENUE
2 days
For Sale
House
$769,000
4 bds 3 ba 1,749 sqft
4326 S CLARK AVENUE
2117 S WEST SHORE BOULEVARD placeholder 2117 S WEST SHORE BOULEVARD
2 days
For Sale
House
$899,000
3 bds 2 ba 1,785 sqft
2117 S WEST SHORE BOULEVARD
726 SEAGATE DRIVE UNIT 726 placeholder 726 SEAGATE DRIVE UNIT 726
3 days
For Sale
Condo/Co-op
$590,000
2 bds 2 ba 1,293 sqft
726 SEAGATE DRIVE UNIT 726
1218 E KAY STREET UNIT 27 placeholder 1218 E KAY STREET UNIT 27
5 days
For Sale
Townhouse
$855,000
3 bds 3 ba 2,294 sqft
1218 E KAY STREET UNIT 27
3301 BAYSHORE BOULEVARD UNIT 1105C placeholder 3301 BAYSHORE BOULEVARD UNIT 1105C
5 days
For Sale
Condo/Co-op
$899,000
2 bds 2 ba 1,702 sqft
3301 BAYSHORE BOULEVARD UNIT 1105C

The multiple listing information is provided by the Stellar MLS from a copyrighted compilation of listings. The compilation of listings and each individual listing are ©2025-present Stellar MLS. All Rights Reserved. The information provided is for consumers' personal, noncommercial use and may not be used for any purpose other than to identify prospective properties consumers may be interested in purchasing. All properties are subject to prior sale or withdrawal. All information provided is deemed reliable but is not guaranteed accurate, and should be independently verified. Listing courtesy of: SMITH & ASSOCIATES REAL ESTATE