Contact
Tell us about your needs

6630 N TREEFARM AVENUE

Lots/Land For Sale
$329,995

BTC: 4.76183261

ETH: 3,299.95000000

4 days
0 room(s)
Est. Estimated sales range: $0 - $0
$0

Overview

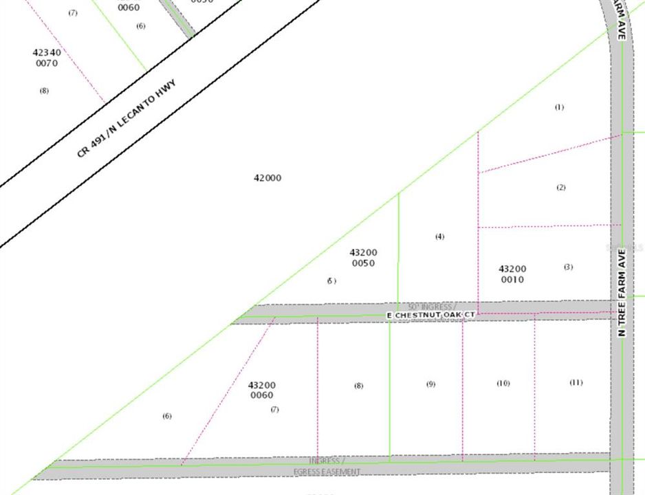
Prime 12.93-acre residential opportunity in Beverly Hills, Citrus County, Florida, consisting of three combined parcels platted into 11 individual lots, each exceeding one acre, with a recorded easement for the internal roadway (E. Chestnut Oak Court). This densely wooded tract, featuring mature trees for natural shade and seclusion, is zoned LDRMH (Low Density Residential with Mobile Homes Allowed) and supports single-family homes and manufactured housing at a maximum density of 2.0 dwelling units per acre, with potential for higher densities via Planned Unit Development approval. Nearly the entire parcel lies in Flood Zone X, with only a small portion in Zone AE, and limited livestock including horses is permitted. Ideally located near shopping, schools, and medical care, the property offers easy access to the natural beauty and recreation that draws you to Central Florida. Crystal River, renowned for kayaking, snorkeling, and manatee viewing is just 15 minutes away and the pristine Rainbow River in Dunnellon is just 19 minutes north, famous for its crystal-clear springs, tubing, kayaking, and wildlife observation. Convenient regional connectivity includes direct access to Tampa via the Suncoast Parkway and to Orlando via the Florida Turnpike. This versatile land presents an exceptional opportunity for a private homestead, family compound, multiple residences, or strategic investment in an area of growing residential demand. All information is deemed reliable but should be independently verified by the buyer or buyer’s agent.

Location

Facts and features

Type:
Land
Parking:
No Data
Year Built:
No Data
Lot:
8.07 Acres
Heating:
No Data
Price/sqft:
No Data
Cooling:
No Data
HOA:
No Data
All facts and features
  • Lot

    • Lot: 8.07 Acres

    Other Property Information

    • Parcel Number: 19E17S310000432000010

    • Zoning: LDRMH

  • Type and style

    • Property Type: Land

  • Utility

    • Electrical Nearby

  • Other financial information

    • Annual tax amount: $1,497

  • Source details

    • MLS ID: OM721775

    Other facts

    • Lot Features: Buildable / Zoned for Horses

    • Water Source: Well Required

    • Lot Size Dimensions: 229 x 346

    • Subdivision Name: BUFFINGTON UNREC SUB

Similar Homes

5736 N CLAREMONT DRIVE placeholder 5736 N CLAREMONT DRIVE
New
For Sale
House
$285,000
4 bds 3 ba 1,827 sqft
5736 N CLAREMONT DRIVE
5471 N HIGHLAND PARK DRIVE placeholder 5471 N HIGHLAND PARK DRIVE
New
For Sale
$319,900
3 bds 2 ba 1,680 sqft
5471 N HIGHLAND PARK DRIVE
477 W FAIRWAYS VIEW DRIVE placeholder 477 W FAIRWAYS VIEW DRIVE
New
For Sale
House
$284,900
3 bds 2 ba 1,694 sqft
477 W FAIRWAYS VIEW DRIVE
1102 W LUDLUM STREET placeholder 1102 W LUDLUM STREET
New
For Sale
House
$264,990
4 bds 2 ba 1,593 sqft
1102 W LUDLUM STREET
1869 W FREEMAN PLACE placeholder 1869 W FREEMAN PLACE
2 days
For Sale
House
$299,000
3 bds 2 ba 1,272 sqft
1869 W FREEMAN PLACE
7841 N SANTOS DRIVE placeholder 7841 N SANTOS DRIVE
3 days
For Sale
House
$329,900
4 bds 3 ba 1,827 sqft
7841 N SANTOS DRIVE
559 W HERONSBILL LANE placeholder 559 W HERONSBILL LANE
4 days
For Sale
House
$289,900
4 bds 2 ba 1,799 sqft
559 W HERONSBILL LANE
8949 N CORTLANDT DRIVE placeholder 8949 N CORTLANDT DRIVE
4 days
For Sale
House
$239,900
3 bds 2 ba 1,405 sqft
8949 N CORTLANDT DRIVE

The multiple listing information is provided by the Stellar MLS from a copyrighted compilation of listings. The compilation of listings and each individual listing are ©2026-present Stellar MLS. All Rights Reserved. The information provided is for consumers' personal, noncommercial use and may not be used for any purpose other than to identify prospective properties consumers may be interested in purchasing. All properties are subject to prior sale or withdrawal. All information provided is deemed reliable but is not guaranteed accurate, and should be independently verified. Listing courtesy of: KELLER WILLIAMS CORNERSTONE RE