Недвижимость
Ознакомьтесь с нашими объявлениями
Контакты
Расскажите нам о своих потребностях

2154 GALL BOULEVARD

Коммерческий На продажу
$1,500,000

BTC: 17.37116387

ETH: 512.64524949

+$200K (2025/02/06)
708 Дней
0 room(s)
Est. Предполагаемый диапазон продаж: $0 - $0
$0

Обзор

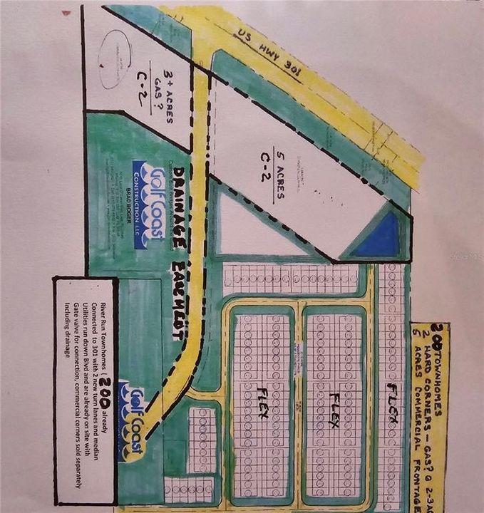
We are offering 2.84 High & Dry Acres (3.65 Total Acres) on the South hard corner at the entrance to a KB Homes major subdivision. This is an ideal location with over 220k daily traffic count. We also have the sister corner we are offering. UTILITIES ON SITE! No RETENTION NEEDED!! Ready to build. Located on the corner of HWY 301 and River Run, the first hard corner close to SR 56. This location is minutes from Wiregrass Mall, the interstate, and shops. Fantastic location for gas, medical, day care, fast food, etc! A must see.

Локация

Факты и особенности

Тип:
Commercial Sale
Парковка:
Нет данных
Год постройки:
1989
Лот:
3.65 Акров
Отопление:
Нет данных
Цена/кв.фут:
Нет данных
Охлаждение:
Other
HOA:
Нет данных
Больше фактов и особенностей
  • Охлаждение

    • Other

  • Лот

    • Лот: 3.65 Акров

    Другая Информация о Недвижимости

    • Номер Земельного Участка: 2126270000003000020

    • Зонирование: C2

  • Тип и стиль

    • Тип недвижимости: Commercial Sale

    • Подтип недвижимости: Mixed Use

  • Другая финансовая информация

    • Годовая сумма налога: $6,034

  • Детали источника

    • MLS ID: U8227595

    Другие факты

    • Строительные материалы: Other

    • Детали фундамента: Other

Похожие дома

35244 BIG HAWK DRIVE placeholder 35244 BIG HAWK DRIVE
19 Дней
На продажу
Дом
$1,199,990
5 спален 4 ванн 4,602 кв.фт.
35244 BIG HAWK DRIVE
4233 GALL BOULEVARD placeholder 4233 GALL BOULEVARD
36 Дней
На продажу
Коммерческий
$1,400,000
0 room(s) 3,394 кв.фт.
4233 GALL BOULEVARD
35310 BIG HAWK DRIVE placeholder 35310 BIG HAWK DRIVE
-$60K (2025/10/30)
На продажу
Дом
$1,099,990
5 спален 4 ванн 4,602 кв.фт.
35310 BIG HAWK DRIVE
35326 BIG HAWK DRIVE placeholder 35326 BIG HAWK DRIVE
+$30K (2025/10/30)
На продажу
Дом
$1,179,990
5 спален 4 ванн 4,602 кв.фт.
35326 BIG HAWK DRIVE
1953 ARCHING BRANCH placeholder 1953 ARCHING BRANCH
-$31K (2025/10/21)
На продажу
Дом
$1,344,400
5 спален 4 ванн 4,605 кв.фт.
1953 ARCHING BRANCH
35418 BIG HAWK DRIVE placeholder 35418 BIG HAWK DRIVE
-$50K (2025/09/09)
На продажу
Дом
$1,099,990
5 спален 4 ванн 3,861 кв.фт.
35418 BIG HAWK DRIVE
4045 ALLEN RD placeholder 4045 ALLEN RD
-$345K (2025/10/16)
На продажу
Коммерческий
$1,950,000
0 room(s)
4045 ALLEN RD
0 GALL BOULEVARD UNIT 2.59 Acres placeholder 0 GALL BOULEVARD UNIT 2.59 Acres
177 Дней
На продажу
Участки / Земля
$1,499,900
0 room(s)
0 GALL BOULEVARD UNIT 2.59 Acres

The multiple listing information is provided by the Stellar MLS from a copyrighted compilation of listings. The compilation of listings and each individual listing are ©2025-present Stellar MLS. All Rights Reserved. The information provided is for consumers' personal, noncommercial use and may not be used for any purpose other than to identify prospective properties consumers may be interested in purchasing. All properties are subject to prior sale or withdrawal. All information provided is deemed reliable but is not guaranteed accurate, and should be independently verified. Listing courtesy of: BOGER PROPERTIES LLC