Недвижимость
Ознакомьтесь с нашими объявлениями
Контакты
Расскажите нам о своих потребностях

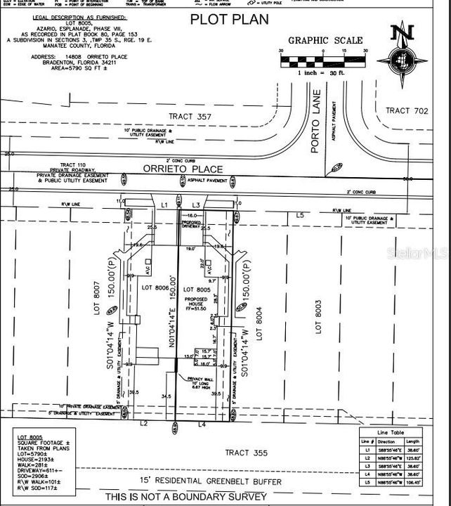
14808 ORRIETO PLACE

Дом На продажу
$485,778

BTC: 5.44325669

ETH: 242.88900000

Новое
2 спален
2 ванн
1,533 кв.фт.
Est. Предполагаемый диапазон продаж: $0 - $0
$0

Обзор

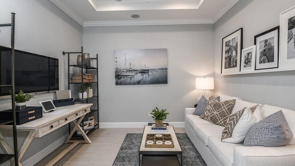
Under Construction. What's Special: Covered Lanai | Extended Patio | Dedicated Study | No Rear Neighbors - New Construction - January Completion! Built by Taylor Morrison, America's Most Trusted Homebuilder. Welcome to the Ibis at 14808 Orrieto Place in Esplanade at Azario Lakewood Ranch. This thoughtfully designed new twin villa home offers an open-concept layout that makes everyday living feel effortless. The elegant primary suite is a peaceful retreat with a private en-suite bath and walk-in closet. At the front of the home, you’ll find a secondary bedroom with its own bath and a dedicated study, perfect for guests or a quiet workspace. At the heart of the home, the great room, designer kitchen, and separate dining area flow together beautifully, creating an inviting space for gatherings. The kitchen shines with an apron-front stainless steel sink, cushion-close cabinet doors and drawers, and pendant lights over the breakfast bar. Crown molding and upgraded interior paint add a touch of sophistication throughout, while luxury vinyl plank flooring extends through the main living areas and primary suite for style and durability. Complete with whole-house impact windows for added safety and a screened lanai to enjoy serene backyard views, this home is ideal for relaxing or entertaining. Additional Highlights Include: Study in place of flex, extended lanai with screen patio, 8' interior doors, and tray ceilings at primary suite, gathering room, dining area, and study. Photos are for representative purposes only. MLS#A4676008 - Resort-Style Living in Esplanade at Azario Lakewood Ranch, the perfect blend of relaxation and recreation! Enjoy the heated resort-style pool, state-of-the-art fitness center, and energizing aerobics classes. For outdoor enthusiasts, there are pickleball courts, scenic trails, Vitality Park, and if golf is your game, you'll love Esplanade's 18-hole championship course! Unwind with a facial massage or by the fire pit after a workout. Exclusive amenities like a Wellness Center, Culinary Center, and sports courts ensure there's something for everyone, whether you want to stay active or relax in style.

Локация

Факты и особенности

Тип:
Residential
Парковка:
Garage Door Opener
Год постройки:
2026
Лот:
0.13 Акров
Отопление:
Central
Цена/кв.фут:
$317
Охлаждение:
Central Air
HOA:
$465
Больше фактов и особенностей
  • Напольное покрытие

    • Carpet

    • Luxury Vinyl

    • Other

    Отопление

    • Central

    Охлаждение

    • Central Air

    Бытовая техника

    • Dishwasher

    • Disposal

    • Exhaust Fan

    • Microwave

    • Range

    • Tankless Water Heater

    Другие особенности интерьера

    • Split Bedroom

    • Tray Ceiling(s)

    • Walk-In Closet(s)

    • Window Treatments

    Спальни и ванные комнаты

    • Спальни: 2

    • Полные ванные комнаты: 2

  • Парковка

    • Garage Door Opener

    Имущество

    • Этажи: One

    • Особенности Экстерьера: Irrigation System / Sliding Doors

    Лот

    • Лот: 0.13 Акров

    Другая Информация о Недвижимости

    • Номер Земельного Участка: NALOT8005

    • Зонирование: RES

  • Тип и стиль

    • Тип недвижимости: Residential

    • Подтип недвижимости: Villa

  • Общественное благосостояние

    • BB/HS Internet Available

    • Cable Available

    • Electricity Available

    • Natural Gas Available

    • Natural Gas Connected

    • Phone Available

    • Private

    • Sewer Connected

    • Sprinkler Recycled

    • Underground Utilities

    • Water Connected

  • Другая финансовая информация

    • HOA: $465

    • Частота HOA: Monthly

  • Детали источника

    • MLS ID: A4676008

    Другие факты

    • Строительные материалы: Cement Siding / Concrete / Stucco

    • Детали фундамента: Slab

    • Особенности прачечной: Inside / Laundry Room

    • Особенности окна: Window Treatments

    • Направленные лица: North

    • Архитектурный стиль: Mediterranean

    • Мест в гараже: 2

    • Прикрепленный гараж: Да

    • Гараж: Да

    • Жилая площадь: 1533

    • Источник воды: Public

    • Название подразделения: AZARIO ESPLANADE

Похожие дома

13980 LILAC SKY TERRACE placeholder 13980 LILAC SKY TERRACE
Новое
На продажу
Дом
$445,000
5 спален 2 ванн 2,215 кв.фт.
13980 LILAC SKY TERRACE
14804 ORRIETO PLACE placeholder 14804 ORRIETO PLACE
Новое
На продажу
Дом
$486,178
2 спален 2 ванн 1,533 кв.фт.
14804 ORRIETO PLACE
5016 SAVONA RUN placeholder 5016 SAVONA RUN
1 Дней
На продажу
Дом
$445,000
2 спален 2 ванн 1,700 кв.фт.
5016 SAVONA RUN
2272 WASHINGTON PALM COURT placeholder 2272 WASHINGTON PALM COURT
1 Дней
На продажу
Таунхаус
$389,900
3 спален 2 ванн 1,790 кв.фт.
2272 WASHINGTON PALM COURT
5313 HALEWOOD COURT placeholder 5313 HALEWOOD COURT
2 Дней
На продажу
Дом
$499,000
3 спален 2 ванн 2,045 кв.фт.
5313 HALEWOOD COURT
2262 WASHINGTON PALM COURT placeholder 2262 WASHINGTON PALM COURT
2 Дней
На продажу
Таунхаус
$345,000
3 спален 2 ванн 1,790 кв.фт.
2262 WASHINGTON PALM COURT
5111 BARNETT CIRCLE placeholder 5111 BARNETT CIRCLE
3 Дней
На продажу
Дом
$560,000
2 спален 2 ванн 1,671 кв.фт.
5111 BARNETT CIRCLE
18149 GANDER TERRACE placeholder 18149 GANDER TERRACE
3 Дней
На продажу
Дом
$462,990
4 спален 2 ванн 2,260 кв.фт.
18149 GANDER TERRACE

The multiple listing information is provided by the Stellar MLS from a copyrighted compilation of listings. The compilation of listings and each individual listing are ©2025-present Stellar MLS. All Rights Reserved. The information provided is for consumers' personal, noncommercial use and may not be used for any purpose other than to identify prospective properties consumers may be interested in purchasing. All properties are subject to prior sale or withdrawal. All information provided is deemed reliable but is not guaranteed accurate, and should be independently verified. Listing courtesy of: TAYLOR MORRISON RLTY OF FLA