Contact
Tell us about your needs

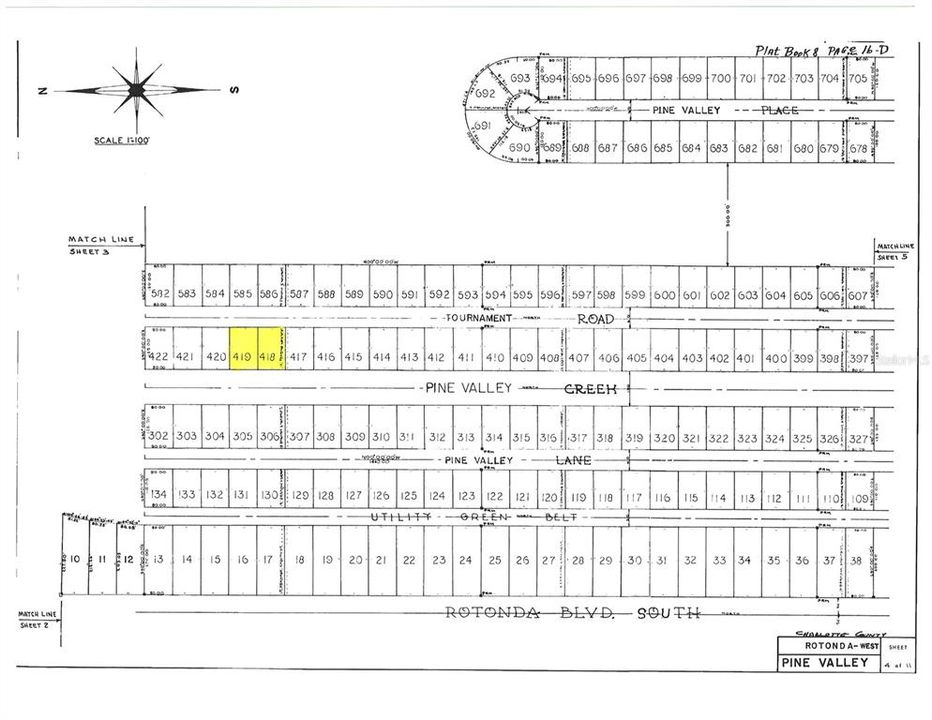
155 & 157 TOURNAMENT ROAD

Lots/Land For Sale
$120,000

BTC: 1.38969311

ETH: 41.01161996

86 days
Waterfront
0 room(s)
Est. Estimated sales range: $0 - $0
$0

Overview

Wow…what a perfect opportunity to own these DOUBLE WATERFRONT lots in the Pine Valley section of the deed restricted community of Rotonda West! The HOA Fee is only $380/Annually for both lots! Currently not in a Scrub Jay Habitat per Charlotte County (please reconfirm during due diligence). Central water, sewer and electricity are available. This is an established golf community with 5 golf courses located within minutes of each other. Conveniently located near shopping, restaurants, beaches, fishing and so much more! Invest in this opportunity and build your dream home in Rotonda West!

Location

Facts and features

Type:
Land
Parking:
No Data
Year Built:
No Data
Lot:
0.44 Acres
Heating:
No Data
Price/sqft:
No Data
Cooling:
No Data
HOA:
$380
All facts and features
  • Lot

    • Lot: 0.44 Acres

    Other Property Information

    • Parcel Number: 412025104007

    • Zoning: RSF5

  • Type and style

    • Property Type: Land

  • Utility

    • Electricity Available

    • Phone Available

    • Public

    • Sewer Available

    • Water Available

  • Other financial information

    • HOA: $380

    • HOA Frequency: Annually

    • Annual tax amount: $2,371

  • Source details

    • MLS ID: D6144017

    Other facts

    • Lot Features: Buildable / Cleared / In County / Level

    • Direction Faces: East

    • Waterfront: Yes

    • Water Body Name: PINE VALLEY CREEK

    • Water Source: Public

    • Lot Size Dimensions: 160 x 120 x 160 x 120

    • Subdivision Name: ROTONDA WEST PINE VALLEY

Similar Homes

87 LATEEN SAIL DRIVE placeholder 87 LATEEN SAIL DRIVE
10 days
For Sale
Lots/Land
$99,000
0 room(s)
87 LATEEN SAIL DRIVE
6800 PLACIDA ROAD UNIT 228 placeholder 6800 PLACIDA ROAD UNIT 228
10 days
For Sale
Condo/Co-op
$149,900
2 bds 2 ba 1,092 sqft
6800 PLACIDA ROAD UNIT 228
96 BOUNDARY BOULEVARD UNIT 129 placeholder 96 BOUNDARY BOULEVARD UNIT 129
15 days
For Sale
Condo/Co-op
$124,900
1 bds 1 ba 780 sqft
96 BOUNDARY BOULEVARD UNIT 129
3586 CAPE HAZE DRIVE UNIT B4 placeholder 3586 CAPE HAZE DRIVE UNIT B4
25 days
For Sale
Condo/Co-op
$105,000
2 bds 2 ba 993 sqft
3586 CAPE HAZE DRIVE UNIT B4
30 OAKLAND HILLS COURT placeholder 30 OAKLAND HILLS COURT
29 days
For Sale
House
$152,000
3 bds 2 ba 1,593 sqft
30 OAKLAND HILLS COURT
326 ROTONDA BOULEVARD W placeholder 326 ROTONDA BOULEVARD W
33 days
For Sale
Lots/Land
$85,000
0 room(s)
326 ROTONDA BOULEVARD W
70 COBIA DRIVE placeholder 70 COBIA DRIVE
37 days
For Sale
Lots/Land
$109,000
0 room(s)
70 COBIA DRIVE
6800 PLACIDA ROAD UNIT 167 placeholder 6800 PLACIDA ROAD UNIT 167
55 days
For Sale
Condo/Co-op
$135,000
2 bds 2 ba 1,092 sqft
6800 PLACIDA ROAD UNIT 167

The multiple listing information is provided by the Stellar MLS from a copyrighted compilation of listings. The compilation of listings and each individual listing are ©2025-present Stellar MLS. All Rights Reserved. The information provided is for consumers' personal, noncommercial use and may not be used for any purpose other than to identify prospective properties consumers may be interested in purchasing. All properties are subject to prior sale or withdrawal. All information provided is deemed reliable but is not guaranteed accurate, and should be independently verified. Listing courtesy of: RE/MAX ALLIANCE GROUP