特性
探索我们的清单
聯繫
告诉我们您的需求

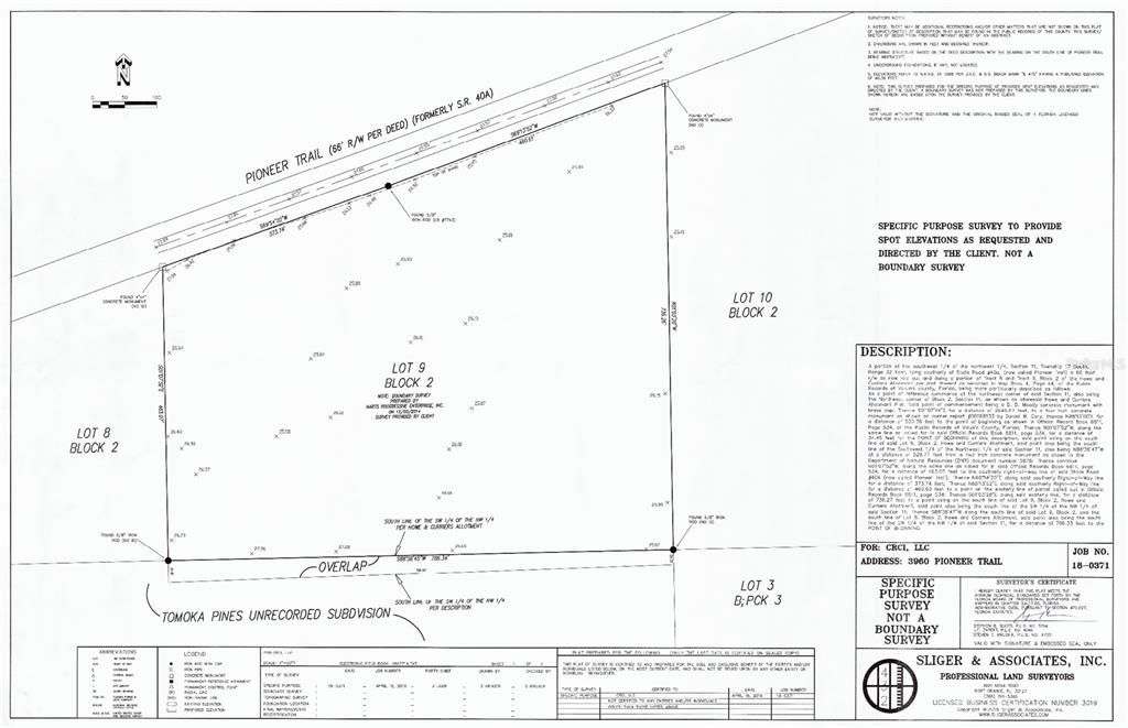
3960 PIONEER TRAIL

地段/土地 待售
$1,750,000

BTC: 58.33333333

ETH: 875.00000000

51 天
0 room(s)
Est. 预计销售范围: $0 - $0
$0

总览

THIS SUBJECT IS A PRISTINE PARCEL OF LAND THAT IS NESTLED JUST WEST OF THE SR 415 AND PIONEER TRAIL INTERSECTION LOCATED WITHIN THE COUNTY OF VOLUSIA, ZONED A-2. THE PROPERTY CONSISTS OF +/- 10.8 ACRES OF NICELY WOODED UNIMPROVED LAND WITH MATURE TREES AND A TRAIL CUT & CLEARING THAT PROVIDES ACCESS TO THE REAR OF THE PROPERTY. THE PARCEL IS WELL SUITED AND ZONED FOR RESIDENTIAL-USE PURPOSES AND MAINTAINS ~835 FEET OF FRONTAGE ALONG PIONEER TRAIL WITH ITS ACCESS AND DRIVEWAY EASILY VISIBLE FROM THE ROAD.

位置

详情与特色

类型:
Land
停车:
没有数据
建造年份:
没有数据
地段:
10.80 英亩
暖气:
没有数据
价格/平方英尺:
没有数据
冷气:
没有数据
HOA:
没有数据
更多事实和特点
  • 地段

    • 地段: 10.80 英亩

    其他财产信息

    • 包裹编号: 00721100000010

    • 分区: A-2/RES

  • 类型与风格

    • 财产种类: Land

  • 公益

    • Electricity Available

    • Phone Available

  • 其他财政信息

    • 年税额: $4,672

  • 来源细节

    • MLS ID: NS1086264

    其他详情

    • 地段特征: Pasture / Unincorporated / Wooded

    • 方向面: North

    • 水源: Well Required

    • 地块大小: AVG 786' W x 600' DEEP

    • 细分名称: HOWE AND CURRIERS ALLOTMENT

类似房屋

460 SPRING FOREST DRIVE placeholder 460 SPRING FOREST DRIVE
25 天
待售
房屋
$1,300,000
4 贝兹 2 浴室 2,108 平方英尺
460 SPRING FOREST DRIVE
3589 GRANDE TUSCANY WAY placeholder 3589 GRANDE TUSCANY WAY
-$105K (2025/11/22)
待售
房屋
$1,995,000
6 贝兹 7 浴室 8,260 平方英尺
3589 GRANDE TUSCANY WAY
599 GLENDEVON DRIVE placeholder 599 GLENDEVON DRIVE
-$700K (2025/11/18)
待售
房屋
$2,100,000
9 贝兹 8 浴室 4,700 平方英尺
599 GLENDEVON DRIVE
123 N CUCUMBER LANE placeholder 123 N CUCUMBER LANE
490 天
待售
地段/土地
$1,250,000
0 room(s)
123 N CUCUMBER LANE

The multiple listing information is provided by the Stellar MLS from a copyrighted compilation of listings. The compilation of listings and each individual listing are ©2025-present Stellar MLS. All Rights Reserved. The information provided is for consumers' personal, noncommercial use and may not be used for any purpose other than to identify prospective properties consumers may be interested in purchasing. All properties are subject to prior sale or withdrawal. All information provided is deemed reliable but is not guaranteed accurate, and should be independently verified. Listing courtesy of: SALTY CITY REALTY