Contacto
Cuéntenos sobre sus necesidades

0 N GALL BOULEVARD UNIT 1.08 Acres

Lotes / Tierras En Venta
$999,500

BTC: 33.31666667

ETH: 499.75000000

157 días
0 room(s)
Est. Rango de ventas estimado: $0 - $0
$0

Visión general

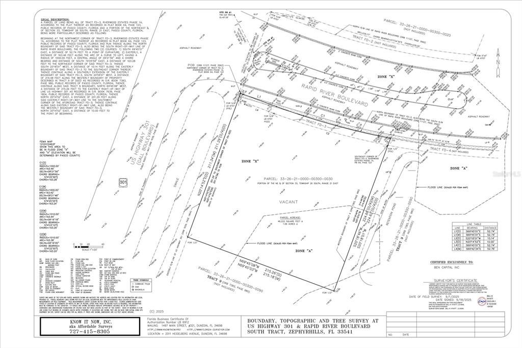
1.08 acres vacant land with direct frontage at the SE corner of US 301 and Rapid River Boulevard at the entrance to the Riverwood Subdivision, a community of almost 400 homes. Currently zoned within the MPUD for Two Rivers, a project planned for over 7000 residential units and 1.3 million SF of Office and industrial. The majority of the site itself has a Future Land Use of COM and preliminary inquiries to the county indicate a potential for a variety of residential, retail, office, and medical uses. Pasco County provides 10" water and 8" sewer lines. The property appears to be part of the master stormwater system for Two Rivers and has excellent visibility with average daily traffic counts in excess of 23,000 / day. The Two Rivers Community features a resort style social club, parks and trails, a clubhouse/pool/fitness center and a golf course and is minutes from The Shops at Wiregrass, The Grove at Wesley Chapel, and Advent Health. Disclaimer: All references to potential development are based upon Future Land Use in the municipal development code. Brokers make no representations as to allowable use or development limits. Purchaser should consult professionals and the local municipality to determine property suitability. Located in Zephyrhills on busy Gall Boulevard just south of SR 56, offering easy access to surrounding areas.

Ubicación

Hechos y características

Tipo:
Land
Estacionamiento:
Sin datos
Año de construcción:
Sin datos
Lote:
1.08 Hectáreas
Calefacción:
Sin datos
precio por sq. medidor:
Sin datos
Enfriamiento:
Sin datos
HOA:
Sin datos
Más hechos y características
  • Lote

    • Lote: 1.08 Hectáreas

    Otra Información de Propiedad

    • Número de Parcela: 212633000.0003.00003.0

    • Zonificación: PUD

  • Tipo y estilo

    • Tipo de propiedad: Land

  • Utilidad

    • BB/HS Internet Available

    • Electricity Available

    • Sewer Available

  • Otra información financiera

    • Importe anual de impuestos: $2,088

  • Detalles de la fuente

    • MLS ID: TB8402960

    Otros hechos

    • Fuente de agua: None

    • Tamaño de la parcela: 100 x 200

Casas similares

1971 DRUMMOND POINT placeholder 1971 DRUMMOND POINT
17 días
En Venta
Casa
$1,050,000
6 camas 4 baños 5,452 sqft
1971 DRUMMOND POINT
35326 BIG HAWK DRIVE placeholder 35326 BIG HAWK DRIVE
+$30K (2025/10/30)
En Venta
Casa
$1,179,990
5 camas 4 baños 4,602 sqft
35326 BIG HAWK DRIVE
35483 BIG HAWK DRIVE placeholder 35483 BIG HAWK DRIVE
49 días
En Venta
Casa
$994,990
4 camas 4 baños 3,138 sqft
35483 BIG HAWK DRIVE
35310 BIG HAWK DRIVE placeholder 35310 BIG HAWK DRIVE
-$60K (2025/10/30)
En Venta
Casa
$1,099,990
5 camas 4 baños 4,602 sqft
35310 BIG HAWK DRIVE
1685 TRAILHEAD LANE placeholder 1685 TRAILHEAD LANE
-$4K (2025/11/12)
En Venta
Casa
$735,999
5 camas 4 baños 3,461 sqft
1685 TRAILHEAD LANE
35418 BIG HAWK DRIVE placeholder 35418 BIG HAWK DRIVE
-$50K (2025/09/09)
En Venta
Casa
$1,099,990
5 camas 4 baños 3,861 sqft
35418 BIG HAWK DRIVE
1599 VALIER POINT placeholder 1599 VALIER POINT
-$58K (2025/11/14)
En Venta
Casa
$749,240
5 camas 4 baños 4,083 sqft
1599 VALIER POINT
2574 WISE RIVER LANE placeholder 2574 WISE RIVER LANE
102 días
En Venta
Casa
$721,495
4 camas 3 baños 3,162 sqft
2574 WISE RIVER LANE

The multiple listing information is provided by the Stellar MLS from a copyrighted compilation of listings. The compilation of listings and each individual listing are ©2025-present Stellar MLS. All Rights Reserved. The information provided is for consumers' personal, noncommercial use and may not be used for any purpose other than to identify prospective properties consumers may be interested in purchasing. All properties are subject to prior sale or withdrawal. All information provided is deemed reliable but is not guaranteed accurate, and should be independently verified. Listing courtesy of: BAY STREET COMMERCIAL LLC