Contacto
Cuéntenos sobre sus necesidades

HACIENDA RIO LAJAS UNIT #1

Lotes / Tierras En Venta
$85,000

BTC: 0.89473684

ETH: 27.41935484

29 días
0 room(s)
Est. Rango de ventas estimado: $0 - $0
$0

Visión general

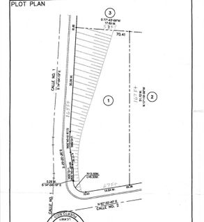
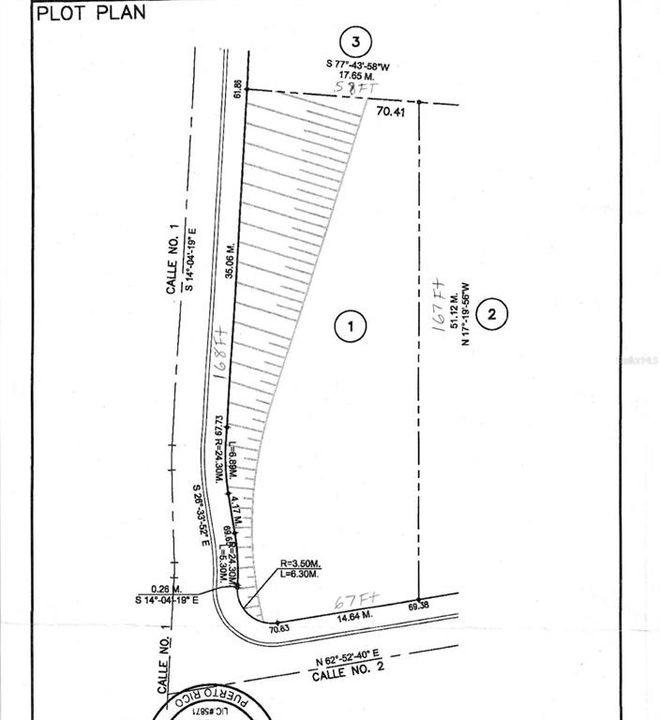
Descubre este exclusivo terreno en Haciendas de Dorado, Dorado. Con una extensión aproximada de 1,000 metros cuadrados (0.254 cuerdas) y dimensiones de aproximadamente 167 X 67 pies, este lote es una esquina privilegiada, ubicada justo al entrar a la urbanización. Ideal para construir una residencia de estilo terrera con un mínimo de 1,650 pies cuadrados de área habitable. El terreno, con topografía elevada, es off-grid, requiriendo instalación de paneles solares y sistemas de energía renovable. Además, la propiedad se encuentra a solo 8 minutos de acceso al expreso y muy cerca de gasolineras y supermercados, ofreciendo una ubicación sumamente accesible. Un lugar perfecto para quienes buscan tranquilidad y vida sustentable.

Ubicación

Hechos y características

Tipo:
Land
Estacionamiento:
Sin datos
Año de construcción:
Sin datos
Lote:
0.02 Hectáreas
Calefacción:
Sin datos
precio por sq. medidor:
Sin datos
Enfriamiento:
Sin datos
HOA:
Sin datos
Más hechos y características
  • Lote

    • Lote: 0.02 Hectáreas

    Otra Información de Propiedad

    • Número de Parcela: 083048351 41000

    • Zonificación: R

  • Tipo y estilo

    • Tipo de propiedad: Land

  • Utilidad

    • Other

  • Detalles de la fuente

    • MLS ID: PR9117540

    Otros hechos

    • Características del lote: Buildable

    • Fuente de agua: None

    • Tamaño de la parcela: 167 x 67

Casas similares

165 KM 7.3 BO GALATEO placeholder 165 KM 7.3 BO GALATEO
37 días
En Venta
Lotes / Tierras
$110,000
0 room(s)
165 KM 7.3 BO GALATEO
HACIENDA VISTA VERDE placeholder HACIENDA VISTA VERDE
223 días
En Venta
Lotes / Tierras
$79,000
0 room(s)
HACIENDA VISTA VERDE
Lot. 48 WOODBRIDGE PARK DEV. placeholder Lot. 48 WOODBRIDGE PARK DEV.
-$5K (2025/03/31)
En Venta
Lotes / Tierras
$60,000
0 room(s)
Lot. 48 WOODBRIDGE PARK DEV.

The multiple listing information is provided by the Stellar MLS from a copyrighted compilation of listings. The compilation of listings and each individual listing are ©2026-present Stellar MLS. All Rights Reserved. The information provided is for consumers' personal, noncommercial use and may not be used for any purpose other than to identify prospective properties consumers may be interested in purchasing. All properties are subject to prior sale or withdrawal. All information provided is deemed reliable but is not guaranteed accurate, and should be independently verified. Listing courtesy of: MI CASA CARIBE