Contacto
Cuéntenos sobre sus necesidades

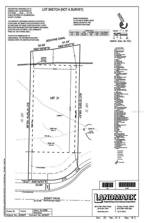
Lot 31 HAMMOCK BAY

Lotes / Tierras Activo con contrato
$970,000

BTC: 10.90682368

ETH: 331.51059467

Nuevo
Frente al mar
0 room(s)
Est. Rango de ventas estimado: $0 - $0
$0

Visión general

Welcome to Hammock Bay — Apollo Beach’s final new waterfront home community. This exclusive gated neighborhood features private roads and deepwater access to Tampa Bay, offering the perfect combination of privacy, freedom, and coastal luxury.  Hammock Bay includes 47 homesites, with 46 positioned directly on the water. Lot sizes average 75 feet wide by 150 to 190 feet deep, providing generous front and rear yards rarely found in the area. No CDD fees and low HOA costs mean more flexibility and long-term value.  Buyers have the freedom to select their own builder, provided they meet community  development standards. Lots 1–22 require a minimum of 3,500 sq. ft. of living area, while Lots 23–46 require a minimum of 4,500 sq. ft. Each homesite offers ample room to design and build a custom residence suited to your lifestyle.  The community offers quick, deepwater access to Tampa Bay, ideal for boating, fishing, and waterfront dining. Site development is underway and progressing quickly, with final plat completion expected in January 2026. Home construction may begin once the final plat is recorded, and owners will have two years after closing to commence building. Don’t miss this rare opportunity to own new waterfront property in Apollo Beach. Call today for available lots, pricing, and to schedule a private site tour.

Ubicación

Hechos y características

Tipo:
Land
Estacionamiento:
Sin datos
Año de construcción:
Sin datos
Lote:
0.32 Hectáreas
Calefacción:
Sin datos
precio por sq. medidor:
Sin datos
Enfriamiento:
Sin datos
HOA:
$600
Más hechos y características
  • Lote

    • Lote: 0.32 Hectáreas

    Otra Información de Propiedad

    • Número de Parcela: LOT 31 HAMMOCK BAY, APOLLO BEACH, FL 33572

    • Zonificación: RES

  • Tipo y estilo

    • Tipo de propiedad: Land

  • Utilidad

    • Public

  • Otra información financiera

    • HOA: $600

    • Frecuencia HOA: Monthly

  • Detalles de la fuente

    • MLS ID: TB8440896

    Otros hechos

    • Frente al mar: Si

    • Fuente de agua: Public

    • Tamaño de la parcela: 75 x 186 x 78 x 195

    • Nombre de subdivisión: HAMMOCK BAY

Casas similares

5129 EVERLONG DRIVE placeholder 5129 EVERLONG DRIVE
Nuevo
Activo con contrato
Casa
$757,542
4 camas 3 baños 3,182 sqft
5129 EVERLONG DRIVE
Lot 22 HAMMOCK BAY placeholder Lot 22 HAMMOCK BAY
Nuevo
Activo con contrato
Lotes / Tierras
$690,000
0 room(s)
Lot 22 HAMMOCK BAY
536 ESTUARY SHORE LANE placeholder 536 ESTUARY SHORE LANE
Nuevo
Activo con contrato
Casa
$1,250,000
4 camas 3 baños 3,040 sqft
536 ESTUARY SHORE LANE
Lot 30 HAMMOCK BAY placeholder Lot 30 HAMMOCK BAY
Nuevo
Activo con contrato
Lotes / Tierras
$900,000
0 room(s)
Lot 30 HAMMOCK BAY
629 MIRABAY BOULEVARD placeholder 629 MIRABAY BOULEVARD
1 días
Activo con contrato
Casa
$1,250,000
4 camas 2 baños 3,549 sqft
629 MIRABAY BOULEVARD
5243 WISHING  ARCH DRIVE placeholder 5243 WISHING  ARCH DRIVE
29 días
Activo con contrato
Casa
$875,000
4 camas 3 baños 3,000 sqft
5243 WISHING ARCH DRIVE
1128 SEAGRAPE DRIVE placeholder 1128 SEAGRAPE DRIVE
32 días
Activo con contrato
Casa
$899,000
4 camas 3 baños 2,913 sqft
1128 SEAGRAPE DRIVE
426 ISLEBAY DRIVE placeholder 426 ISLEBAY DRIVE
-$4K (2025/06/21)
Activo con contrato
Casa
$865,000
3 camas 2 baños 1,977 sqft
426 ISLEBAY DRIVE

The multiple listing information is provided by the Stellar MLS from a copyrighted compilation of listings. The compilation of listings and each individual listing are ©2025-present Stellar MLS. All Rights Reserved. The information provided is for consumers' personal, noncommercial use and may not be used for any purpose other than to identify prospective properties consumers may be interested in purchasing. All properties are subject to prior sale or withdrawal. All information provided is deemed reliable but is not guaranteed accurate, and should be independently verified. Listing courtesy of: CENTURY 21 BEGGINS ENTERPRISES