Недвижимость
Ознакомьтесь с нашими объявлениями
Контакты
Расскажите нам о своих потребностях

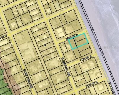
1000 S OCEAN SHORE BOULEVARD

Участки / Земля На продажу
$1,499,000

BTC: 22.04411765

ETH: 14,990.00000000

42 Дней
Набережная
0 room(s)
Est. Предполагаемый диапазон продаж: $0 - $0
$0

Обзор

Oceanfront prime location for commercial or residential development! Located on the fringe of the central business district, this parcel is .375 acres and is comprised of three separately deeded parcels. It can be combined with adjacent (separate listing) lot for a total of .75 acres if you want to own the whole block! Only 10 blocks south of the new Margaritaville hotel, boutique shops and exceptional restaurants, this location offers privacy with proximity to the hub of activity in Flagler Beach. Please note that property taxes are shown for one individual lot. Beautiful beach in front of this property has been restored. Zoning allows for a wide array of uses including (but not limited to) condos, single family homes, restaurants, and retail. Buy now for development or just to hold for investment-either way it's a winner.

Локация

Факты и особенности

Тип:
Land
Парковка:
Нет данных
Год постройки:
Нет данных
Лот:
0.37 Акров
Отопление:
Нет данных
Цена/кв.фут:
Нет данных
Охлаждение:
Нет данных
HOA:
Нет данных
Больше фактов и особенностей
  • Лот

    • Лот: 0.37 Акров

    Другая Информация о Недвижимости

    • Номер Земельного Участка: 1212314500001700010

    • Зонирование: GC

  • Тип и стиль

    • Тип недвижимости: Land

  • Общественное благосостояние

    • Electrical Nearby

    • Sewer Nearby

    • Water Nearby

  • Другая финансовая информация

    • Годовая сумма налога: $6,544

  • Детали источника

    • MLS ID: FC316271

    Другие факты

    • Направленные лица: East

    • Берег: Да

    • Название водоема: ATLANTIC OCEAN

    • Источник воды: Public

    • Размеры участка: 100 x 165

    • Название подразделения: GEORGE MOODY SUB

Похожие дома

222 SEASIDE LANDINGS DRIVE S placeholder 222 SEASIDE LANDINGS DRIVE S
Новое
На продажу
Дом
$1,450,000
4 спален 3 ванн 3,269 кв.фт.
222 SEASIDE LANDINGS DRIVE S
185 S RIVERWALK DRIVE placeholder 185 S RIVERWALK DRIVE
11 Дней
На продажу
Дом
$1,650,000
4 спален 4 ванн 3,382 кв.фт.
185 S RIVERWALK DRIVE
2652 S OCEAN SHORE BOULEVARD placeholder 2652 S OCEAN SHORE BOULEVARD
26 Дней
На продажу
Дом
$1,395,000
3 спален 3 ванн 2,450 кв.фт.
2652 S OCEAN SHORE BOULEVARD
208 S 3RD STREET placeholder 208 S 3RD STREET
35 Дней
На продажу
$1,350,000
2 спален 1 ванн 3,080 кв.фт.
208 S 3RD STREET
208 S 3RD STREET placeholder 208 S 3RD STREET
38 Дней
На продажу
Коммерческий
$1,350,000
0 room(s) 3,080 кв.фт.
208 S 3RD STREET
1481 LAMBERT AVENUE placeholder 1481 LAMBERT AVENUE
39 Дней
На продажу
Дом
$1,525,000
5 спален 3 ванн 5,201 кв.фт.
1481 LAMBERT AVENUE
1000B OCEAN SHORE BOULEVARD placeholder 1000B OCEAN SHORE BOULEVARD
42 Дней
На продажу
Участки / Земля
$1,499,000
0 room(s)
1000B OCEAN SHORE BOULEVARD
407 PALM DRIVE placeholder 407 PALM DRIVE
46 Дней
На продажу
Дом
$1,199,000
3 спален 3 ванн 2,691 кв.фт.
407 PALM DRIVE

The multiple listing information is provided by the Stellar MLS from a copyrighted compilation of listings. The compilation of listings and each individual listing are ©2026-present Stellar MLS. All Rights Reserved. The information provided is for consumers' personal, noncommercial use and may not be used for any purpose other than to identify prospective properties consumers may be interested in purchasing. All properties are subject to prior sale or withdrawal. All information provided is deemed reliable but is not guaranteed accurate, and should be independently verified. Listing courtesy of: PARKSIDE REALTY GROUP