Недвижимость
Ознакомьтесь с нашими объявлениями
Контакты
Расскажите нам о своих потребностях

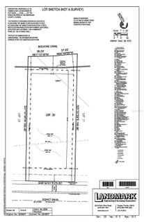
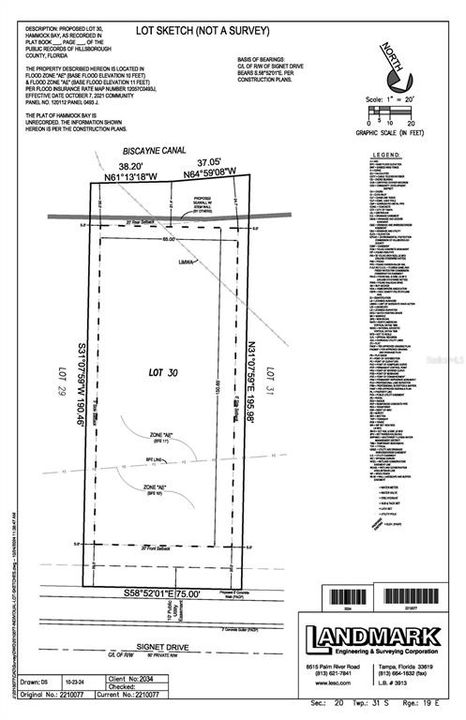
Lot 30 HAMMOCK BAY

Участки / Земля Под контрактом
$900,000

BTC: 10.36269430

ETH: 450.00000000

Новое
Набережная
0 room(s)
Est. Предполагаемый диапазон продаж: $0 - $0
$0

Обзор

Welcome to Hammock Bay — Apollo Beach’s final new waterfront home community. This exclusive gated neighborhood features private roads and deepwater access to Tampa Bay, offering the perfect combination of privacy, freedom, and coastal luxury.  Hammock Bay includes 47 homesites, with 46 positioned directly on the water. Lot sizes average 75 feet wide by 150 to 190 feet deep, providing generous front and rear yards rarely found in the area. No CDD fees and low HOA costs mean more flexibility and long-term value.  Buyers have the freedom to select their own builder, provided they meet community  development standards. Lots 1–22 require a minimum of 3,500 sq. ft. of living area, while Lots 23–46 require a minimum of 4,500 sq. ft. Each homesite offers ample room to design and build a custom residence suited to your lifestyle.  The community offers quick, deepwater access to Tampa Bay, ideal for boating, fishing, and waterfront dining. Site development is underway and progressing quickly, with final plat completion expected in January 2026. Home construction may begin once the final plat is recorded, and owners will have two years after closing to commence building. Don’t miss this rare opportunity to own new waterfront property in Apollo Beach. Call today for available lots, pricing, and to schedule a private site tour.

Локация

Факты и особенности

Тип:
Land
Парковка:
Нет данных
Год постройки:
Нет данных
Лот:
0.33 Акров
Отопление:
Нет данных
Цена/кв.фут:
Нет данных
Охлаждение:
Нет данных
HOA:
$600
Больше фактов и особенностей
  • Лот

    • Лот: 0.33 Акров

    Другая Информация о Недвижимости

    • Номер Земельного Участка: LOT 30 HAMMOCK BAY, APOLLO BEACH, FL 33572

    • Зонирование: RES

  • Тип и стиль

    • Тип недвижимости: Land

  • Общественное благосостояние

    • Public

  • Другая финансовая информация

    • HOA: $600

    • Частота HOA: Monthly

  • Детали источника

    • MLS ID: TB8440892

    Другие факты

    • Берег: Да

    • Источник воды: Public

    • Размеры участка: 195 x 75 x 75 x 190

    • Название подразделения: HAMMOCK BAY

Похожие дома

Lot 31 HAMMOCK BAY placeholder Lot 31 HAMMOCK BAY
Новое
Под контрактом
Участки / Земля
$970,000
0 room(s)
Lot 31 HAMMOCK BAY
Lot 22 HAMMOCK BAY placeholder Lot 22 HAMMOCK BAY
Новое
Под контрактом
Участки / Земля
$690,000
0 room(s)
Lot 22 HAMMOCK BAY
5129 EVERLONG DRIVE placeholder 5129 EVERLONG DRIVE
Новое
Под контрактом
Дом
$757,542
4 спален 3 ванн 3,182 кв.фт.
5129 EVERLONG DRIVE
Lot 12 HAMMOCK BAY placeholder Lot 12 HAMMOCK BAY
Новое
Под контрактом
Участки / Земля
$635,000
0 room(s)
Lot 12 HAMMOCK BAY
Lot 20 HAMMOCK BAY placeholder Lot 20 HAMMOCK BAY
Новое
Под контрактом
Участки / Земля
$675,000
0 room(s)
Lot 20 HAMMOCK BAY
Lot 16 HAMMOCK BAY placeholder Lot 16 HAMMOCK BAY
Новое
Под контрактом
Участки / Земля
$655,000
0 room(s)
Lot 16 HAMMOCK BAY
5243 WISHING  ARCH DRIVE placeholder 5243 WISHING  ARCH DRIVE
29 Дней
Под контрактом
Дом
$875,000
4 спален 3 ванн 3,000 кв.фт.
5243 WISHING ARCH DRIVE
1017 SONATA LANE placeholder 1017 SONATA LANE
-$70K (2025/10/30)
Под контрактом
Дом
$880,000
4 спален 3 ванн 2,092 кв.фт.
1017 SONATA LANE

The multiple listing information is provided by the Stellar MLS from a copyrighted compilation of listings. The compilation of listings and each individual listing are ©2025-present Stellar MLS. All Rights Reserved. The information provided is for consumers' personal, noncommercial use and may not be used for any purpose other than to identify prospective properties consumers may be interested in purchasing. All properties are subject to prior sale or withdrawal. All information provided is deemed reliable but is not guaranteed accurate, and should be independently verified. Listing courtesy of: CENTURY 21 BEGGINS ENTERPRISES