特性
探索我们的清单
聯繫
告诉我们您的需求

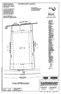
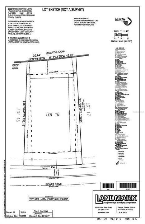
Lot 16 HAMMOCK BAY

地段/土地 合同活跃
$655,000

BTC: 7.54173863

ETH: 327.50000000

滨水区
0 room(s)
Est. 预计销售范围: $0 - $0
$0

总览

Welcome to Hammock Bay — Apollo Beach’s final new waterfront home community. This exclusive gated neighborhood features private roads and deepwater access to Tampa Bay, offering the perfect combination of privacy, freedom, and coastal luxury.  Hammock Bay includes 47 homesites, with 46 positioned directly on the water. Lot sizes average 75 feet wide by 150 to 190 feet deep, providing generous front and rear yards rarely found in the area. No CDD fees and low HOA costs mean more flexibility and long-term value.  Buyers have the freedom to select their own builder, provided they meet community  development standards. Lots 1–22 require a minimum of 3,500 sq. ft. of living area, while Lots 23–46 require a minimum of 4,500 sq. ft. Each homesite offers ample room to design and build a custom residence suited to your lifestyle.  The community offers quick, deepwater access to Tampa Bay, ideal for boating, fishing, and waterfront dining. Site development is underway and progressing quickly, with final plat completion expected in January 2026. Home construction may begin once the final plat is recorded, and owners will have two years after closing to commence building. Don’t miss this rare opportunity to own new waterfront property in Apollo Beach. Call today for available lots, pricing, and to schedule a private site tour.

位置

详情与特色

类型:
Land
停车:
没有数据
建造年份:
没有数据
地段:
0.26 英亩
暖气:
没有数据
价格/平方英尺:
没有数据
冷气:
没有数据
HOA:
$600
更多事实和特点
  • 地段

    • 地段: 0.26 英亩

    其他财产信息

    • 包裹编号: LOT 16 HAMMOCK BAY, APOLLO BEACH, FL 33572

    • 分区: RES

  • 类型与风格

    • 财产种类: Land

  • 公益

    • Public

  • 其他财政信息

    • HOA: $600

    • HOA频率: Monthly

  • 来源细节

    • MLS ID: TB8440873

    其他详情

    • 滨水区: 是

    • 水源: Public

    • 地块大小: 158 x 163 x 88 x 73

    • 细分名称: HAMMOCK BAY

类似房屋

Lot 12 HAMMOCK BAY placeholder Lot 12 HAMMOCK BAY
合同活跃
地段/土地
$635,000
0 room(s)
Lot 12 HAMMOCK BAY
Lot 20 HAMMOCK BAY placeholder Lot 20 HAMMOCK BAY
合同活跃
地段/土地
$675,000
0 room(s)
Lot 20 HAMMOCK BAY
5129 EVERLONG DRIVE placeholder 5129 EVERLONG DRIVE
合同活跃
房屋
$757,542
4 贝兹 3 浴室 3,182 平方英尺
5129 EVERLONG DRIVE
Lot 22 HAMMOCK BAY placeholder Lot 22 HAMMOCK BAY
合同活跃
地段/土地
$690,000
0 room(s)
Lot 22 HAMMOCK BAY
317 SILVER FALLS DRIVE placeholder 317 SILVER FALLS DRIVE
1 天
合同活跃
房屋
$469,000
2 贝兹 2 浴室 1,941 平方英尺
317 SILVER FALLS DRIVE
923 SIGNET DRIVE placeholder 923 SIGNET DRIVE
1 天
合同活跃
房屋
$575,000
4 贝兹 3 浴室 2,359 平方英尺
923 SIGNET DRIVE
6418 MAYRA SHORES LANE placeholder 6418 MAYRA SHORES LANE
3 天
合同活跃
联排别墅
$595,000
3 贝兹 2 浴室 2,763 平方英尺
6418 MAYRA SHORES LANE
5131 SPRING MAIDEN CIRCLE placeholder 5131 SPRING MAIDEN CIRCLE
6 天
合同活跃
房屋
$485,999
5 贝兹 3 浴室 2,350 平方英尺
5131 SPRING MAIDEN CIRCLE

The multiple listing information is provided by the Stellar MLS from a copyrighted compilation of listings. The compilation of listings and each individual listing are ©2025-present Stellar MLS. All Rights Reserved. The information provided is for consumers' personal, noncommercial use and may not be used for any purpose other than to identify prospective properties consumers may be interested in purchasing. All properties are subject to prior sale or withdrawal. All information provided is deemed reliable but is not guaranteed accurate, and should be independently verified. Listing courtesy of: CENTURY 21 BEGGINS ENTERPRISES