特性
探索我们的清单
聯繫
告诉我们您的需求

4332 CEDAR WAY

地段/土地 待售
$67,000

BTC: 0.98529412

ETH: 670.00000000

-$1K (2026/03/28)
88 天
0 room(s)
Est. 预计销售范围: $0 - $0
$0

总览

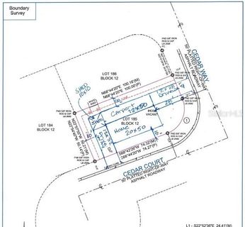
Terra Mar Village is the Florida lifestyle, with a rare opportunity to build in a desirable waterfront community. One of the last vacant lots, this cleared, and level 50 x 100 corner lot sits on a quiet cul-de-sac. Zoned M5, it allows a new manufactured home, relocation of an existing manufactured home, or construction of a single-family concrete block or wood/metal-frame home. A county-approved variance for extended setbacks is in place, and site plans are available for a 2-bedroom, 2-bath home with loft, two driveways, and carport. Located in Flood Zone X, flood insurance is not required. This all-age community is zoned for the New Smyrna Beach school district. Amenities include two pools (one heated), clubhouse, bocce ball, shuffleboard, RV and boat storage, boat slips (lease available), private boat ramp with Intracoastal access, boat dock, and new fishing pier. No lot rent, low fees, minutes to shopping, dining, and New Smyrna Beach.

位置

详情与特色

类型:
Land
停车:
没有数据
建造年份:
没有数据
地段:
0.11 英亩
暖气:
没有数据
价格/平方英尺:
没有数据
冷气:
没有数据
HOA:
没有数据
更多事实和特点
  • 地段

    • 地段: 0.11 英亩

    其他财产信息

    • 包裹编号: 8538120218500000

    • 分区: MH-5W

  • 类型与风格

    • 财产种类: Land

  • 公益

    • Electricity Available

    • Sewer Available

    • Water Available

  • 其他财政信息

    • 年税额: $713

  • 来源细节

    • MLS ID: NS1086976

    其他详情

    • 地段特征: Buildable / Cleared / Corner Lot / Cul-De-Sac / Level / Other / Street Lights

    • 水源: None

    • 地块大小: 50 x 100

    • 细分名称: TERRA MAR VILLAGE

类似房屋

4355 CEDAR WAY placeholder 4355 CEDAR WAY
-$10K (2026/03/31)
待售
$65,000
2 贝兹 2 浴室 1,440 平方英尺
4355 CEDAR WAY
4339 MACKERAL, LOT 272 CIRCLE placeholder 4339 MACKERAL, LOT 272 CIRCLE
-$10K (2026/03/31)
待售
地段/土地
$59,000
0 room(s)
4339 MACKERAL, LOT 272 CIRCLE
498 SIOUX BOULEVARD placeholder 498 SIOUX BOULEVARD
507 天
待售
地段/土地
$79,900
0 room(s)
498 SIOUX BOULEVARD
160 RED BASS LANE placeholder 160 RED BASS LANE
-$40K (2024/12/07)
待售
地段/土地
$70,000
0 room(s)
160 RED BASS LANE

The multiple listing information is provided by the Stellar MLS from a copyrighted compilation of listings. The compilation of listings and each individual listing are ©2026-present Stellar MLS. All Rights Reserved. The information provided is for consumers' personal, noncommercial use and may not be used for any purpose other than to identify prospective properties consumers may be interested in purchasing. All properties are subject to prior sale or withdrawal. All information provided is deemed reliable but is not guaranteed accurate, and should be independently verified. Listing courtesy of: REALTY PROS ASSURED