Contact
Tell us about your needs

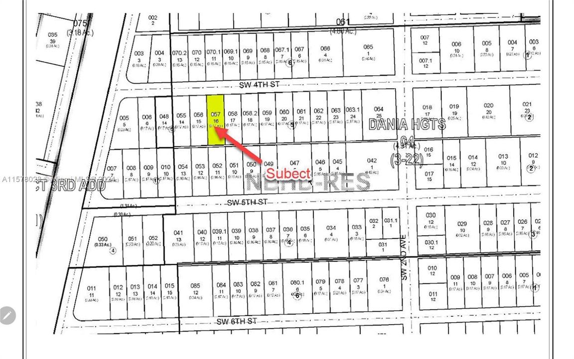
241 SW 4th St, Dania Beach FL 33004

Lots/Land Recently Sold
$170,000

BTC: 5.66666667

ETH: 85.00000000

Sold on: 2024-08-28
12 days
0 room(s)
Est. Estimated sales range: $0 - $0
$0

Overview

Residential lot for sale in the heart of Dania Beach. As Dania Beach grows and expands at leaps and bounds, take advantage of this opportunity to build as an investment or land bank for the future. This area is one of the most convenient locations in the tri-county area. Literally minutes to the Turnpike, I-95, I-595, Tri-Rail, and the FLL airport. Other very close conveniences include two Publix's, Aldi's, Sprouts. and the many shops at Dania Pointe and Oakwood Plaza. In addition Dania and Hollywood Beaches are less than 2 miles away. This property is being marketed and sold as-is for lot value only. The current residential structure is not in livable condition. Lot square footage is from BCPA and lot dimensions are approximate. Zoned NBHD-RES.

Location

Facts and features

Type:
Land/Boat Docks
Parking:
No Data
Year Built:
No Data
Lot:
0.17 Acres
Heating:
No Data
Price/sqft:
No Data
Cooling:
No Data
HOA:
No Data
All facts and features
  • Lot

    • Lot: 0.17 Acres

    Other Property Information

    • Parcel Number: 514203040570

    • Zoning: NBHD-RES

  • Type and style

    • Property Type: Land/Boat Docks

    • Property Sub Type: Residential

  • Utility

    • Electricity Connected

    • Sewer Connected

    • Water Connected

  • Other financial information

    • Annual tax amount: $4,411

  • Source details

    • MLS ID: A11578028

    Other facts

    • Lot Features: City Location / Inside Location / Less Than 1/4 Acre Lot / Cleared / Other / Sidewalk

    • Direction Faces: North

    • Other Structures: Run Down

    • Water Source: Municipal Water

    • Lot Size Dimensions: 147x50

    • Subdivision Name: DANIA HEIGHTS

Similar Homes

1830 Radius Dr # 526, Hollywood FL 33020 placeholder 1830 Radius Dr # 526, Hollywood FL 33020
New
Recently Sold
Condo/Co-op
$201,000
1 bds 1 ba 863 sqft
1830 Radius Dr # 526, Hollywood FL 33020
1520 Mckinley St # 118E, Hollywood FL 33020 placeholder 1520 Mckinley St # 118E, Hollywood FL 33020
New
Recently Sold
House
$143,000
2 bds 2 ba 800 sqft
1520 Mckinley St # 118E, Hollywood FL 33020
1025 SE 2nd Ave # 303, Dania Beach FL 33004 placeholder 1025 SE 2nd Ave # 303, Dania Beach FL 33004
New
Recently Sold
Condo/Co-op
$140,000
1 bds 1 ba 800 sqft
1025 SE 2nd Ave # 303, Dania Beach FL 33004
401 SE 3rd St # 504, Dania Beach FL 33004 placeholder 401 SE 3rd St # 504, Dania Beach FL 33004
New
Recently Sold
Condo/Co-op
$190,000
2 bds 2 ba 1,190 sqft
401 SE 3rd St # 504, Dania Beach FL 33004
2010 Fillmore St # 405, Hollywood FL 33020 placeholder 2010 Fillmore St # 405, Hollywood FL 33020
New
Recently Sold
Condo/Co-op
$125,000
2 bds 2 ba 818 sqft
2010 Fillmore St # 405, Hollywood FL 33020
2530 Pierce St # 107, Hollywood FL 33020 placeholder 2530 Pierce St # 107, Hollywood FL 33020
New
Recently Sold
Condo/Co-op
$115,000
2 bds 1 ba 850 sqft
2530 Pierce St # 107, Hollywood FL 33020
1830 Dixianna St # 102, Hollywood FL 33020 placeholder 1830 Dixianna St # 102, Hollywood FL 33020
New
Recently Sold
Condo/Co-op
$172,000
2 bds 2 ba 1,168 sqft
1830 Dixianna St # 102, Hollywood FL 33020
425 SE 11th Ter, Dania Beach FL 33004 placeholder 425 SE 11th Ter, Dania Beach FL 33004
New
Recently Sold
House
$200,500
2 bds 2 ba 1,144 sqft
425 SE 11th Ter, Dania Beach FL 33004

The multiple listing information is provided by the Miami Association of REALTORS® from a copyrighted compilation of listings. The compilation of listings and each individual listing are ©2025-present Miami Association of REALTORS®. All Rights Reserved. The information provided is for consumers' personal, noncommercial use and may not be used for any purpose other than to identify prospective properties consumers may be interested in purchasing. All properties are subject to prior sale or withdrawal. All information provided is deemed reliable but is not guaranteed accurate, and should be independently verified. Listing courtesy of: Marant & Associates Inc