特性
探索我们的清单
聯繫
告诉我们您的需求

2672-2686 TAMIAMI TRAIL UNIT 6B,7B

待售
$104,500

BTC: 1.20322395

ETH: 52.25000000

115 天
0 room(s)
4,193 平方英尺
Est. 预计销售范围: $0 - $0
$0

总览

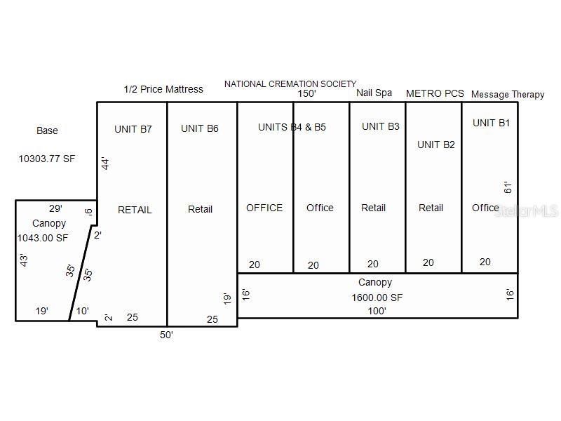
Locate your business in this successful, attractive Plaza on high traffic US Highway 41/Tamiami Trail on a signalized corner! TWO END UNITS that can be divided once. This flexible, open layout is ready to adapt to your unique vision—perfect for retail, offices, studios, and more. PLUS a DRIVE THRU CANOPY! Perfect for a BANK or your business that uses a drive thru. Recently remodeled, updated and fully air conditioned. Lease annual rate $20/psf; Additional drive thru canopy $17psf Flexible size 4193 sf or it can be divided as 2209 sf for the corner (canopy additional 1032 sf) or 1984 sf for the inside unit. $8493/month for the whole space including the canopy plus CAM at $5.00 psf. Adjacent to the Charlotte County Chamber of Commerce. The Sanctuary is two buildings featuring Spanish Mission style arches, barrel tile roof and a parade of Royal Palms along the hwy that combine for a unique upscale look that customers will remember in the middle of a commercial business district. High profile and visibility with large pillar signage on US41. End unit 7B has 2209 sf with floor to ceiling, tinted display windows plus a TWO CAR canopy 1032 sf. Inside unit 6B also with floor to ceiling display windows has 1984 sf or both can be combined for 4193 sf. Other tenants include Nails, Spa, Metro by T Mobil, Pioneer Quick Pizza, Puppy Shop, real estate office. Perfect location for a BANK as there are none in the immediate area. Professionally managed. Taxes are for the whole 13 unit property and will be prorated accordingly. Make this commercial space with water and sewer your new space for success!

位置

佛罗里达 PORT CHARLOTTE 33952 待售

详情与特色

类型:
Commercial Lease
停车:
Ground Level / Lighted / Over 30 Spaces
建造年份:
1974
地段:
1.21 英亩
暖气:
Central Individual / Electric
价格/平方英尺:
$25
冷气:
Central Air
HOA:
没有数据
更多事实和特点
  • 地板

    • Carpet

    • Concrete

    • Luxury Vinyl

    暖气

    • Central Individual

    • Electric

    冷气

    • Central Air

  • 停车

    • Ground Level

    • Lighted

    • Over 30 Spaces

    房屋

    • 等级: One

    地段

    • 地段: 1.21 英亩

    其他财产信息

    • 包裹编号: 402216410001

    • 分区: CG

  • 类型与风格

    • 财产种类: Commercial Lease

    • 属性子类型: Mixed Use

  • 公益

    • BB/HS Internet Capable

    • Electricity Available

    • Phone Available

    • Public

    • Water Connected

  • 其他财政信息

    • 年税额: $36,513

  • 来源细节

    • MLS ID: D6143597

    其他详情

    • 建筑材料: Block / Stucco

    • 基金会详情: Slab

    • 地段特征: Central Business District / Corner Lot / Flood Insurance Required / FloodZone / Landscaped / Shopping Center / Street Lights

    • 窗户功能: Aluminum Frames / Display Window(s) / Thermal Windows / Tinted Windows

    • 方向面: West

    • 生活区域: 4193

    • 水源: Public

    • 地块大小: 350 x 150

    • 细分名称: PORT CHARLOTTE SEC 18

类似房屋

4158 TAMIAMI TRAIL UNIT G2 placeholder 4158 TAMIAMI TRAIL UNIT G2
待售
公寓/合作社
$85,000
2 贝兹 2 浴室 919 平方英尺
4158 TAMIAMI TRAIL UNIT G2
2486 CARING WAY UNIT 14C placeholder 2486 CARING WAY UNIT 14C
1 天
待售
公寓/合作社
$135,000
2 贝兹 2 浴室 688 平方英尺
2486 CARING WAY UNIT 14C
22120 MAMARONECK AVENUE placeholder 22120 MAMARONECK AVENUE
7 天
待售
地段/土地
$120,000
0 room(s)
22120 MAMARONECK AVENUE
21405 OLEAN BOULEVARD UNIT 208 placeholder 21405 OLEAN BOULEVARD UNIT 208
8 天
待售
公寓/合作社
$99,900
1 贝兹 1 浴室 634 平方英尺
21405 OLEAN BOULEVARD UNIT 208
4158 TAMIAMI TRAIL UNIT U3 placeholder 4158 TAMIAMI TRAIL UNIT U3
8 天
待售
公寓/合作社
$115,000
2 贝兹 2 浴室 1,039 平方英尺
4158 TAMIAMI TRAIL UNIT U3
4158 TAMIAMI TRAIL UNIT S8 placeholder 4158 TAMIAMI TRAIL UNIT S8
9 天
待售
公寓/合作社
$130,000
2 贝兹 2 浴室 919 平方英尺
4158 TAMIAMI TRAIL UNIT S8
22375 EDGEWATER DRIVE UNIT 217 placeholder 22375 EDGEWATER DRIVE UNIT 217
16 天
待售
公寓/合作社
$115,800
2 贝兹 2 浴室 987 平方英尺
22375 EDGEWATER DRIVE UNIT 217
21320 BRINSON AVENUE UNIT 109 placeholder 21320 BRINSON AVENUE UNIT 109
16 天
待售
公寓/合作社
$84,000
1 贝兹 1 浴室 672 平方英尺
21320 BRINSON AVENUE UNIT 109

The multiple listing information is provided by the Stellar MLS from a copyrighted compilation of listings. The compilation of listings and each individual listing are ©2025-present Stellar MLS. All Rights Reserved. The information provided is for consumers' personal, noncommercial use and may not be used for any purpose other than to identify prospective properties consumers may be interested in purchasing. All properties are subject to prior sale or withdrawal. All information provided is deemed reliable but is not guaranteed accurate, and should be independently verified. Listing courtesy of: AGGRESSIVE REALTY